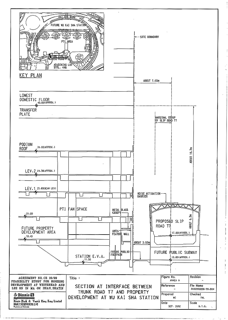
Annex H
Section at Interface between Trunk Road T7 & Property Development at Wu Kai Sha Station