Environmental Permit No. EP-03/129/2002/E

環境許可證編號  EP-03/129/2002/E

ENVIRONMENTAL IMPACT ASSESSMENT ORDINANCE

(CHAPTER 499)

Sections 10 & 13

 

環境影響評估條例

(499)

1013

 

FURTHER ENVIRONMENTAL PERMIT TO CONSTRUCT AND OPERATE A PART OF THE DESIGNATED PROJECT

 

就建造及營辦指定工程項目其中部份而發出新的環境許可證

 

 

PART A (MAIN PERMIT)

A (許可證主要部分)

 

Pursuant to Sections 10 and 12 of the Environmental Impact Assessment Ordinance (the Ordinance), the Director of Environmental Protection (the Director) granted the Further Environmental Permit (FEP-03/129/2002) to DRAGAGES (HK) JOINT VENTURE (hereinafter referred to as the “Permit Holder”) on 11 December 2002.  Pursuant to Section 13 of the Ordinance, the Director amends the Further Environmental Permit based on the Application No. VEP-194/2005. The amendments, described below, are incorporated into this Environmental Permit (EP-03/129/2002/E). This Environmental Permit as amended is for the construction and operation of the designated project(s) described in Part B of this Permit subject to the conditions described in or attached to Part C of this Permit.

 

根 據 環 境 影 響 評 估 條 例 (條 例 ) 1012條 的 規 定 , 環 境 保 護 署 署 長 ( 署 長 ) 於 20021211日 將 新 的 環 境 許 可 證 (FEP-03/129/2002)批予法國寶嘉(香港)聯營 (下 稱 "許 可 證 持 有 人 ")。 根 據 條 例 第 13條 的 規 定 ﹐ 署 長 因 應 更 改 環 境 許 可 證 的 申 請 編 號 VEP-194/2005修 訂 新 的 環 境 許 可 證。 以 下 修 訂 已 包 含 在 本 環 境 許 可 證 內 (EP-03/129/2002/E)。 本 經 修 訂 的 環 境 許 可 證 作 為 建 造 及 營 辦 本 許 可 證B 所 說 明 的 指 定 工 程 項 目 ﹐ 但 須 遵 守 本 許 可 證 C 所 說 明 或 附 載 的 條 件 。

 

The issue of this environmental permit is based on the documents, approvals or permissions described below:

本環境許可證的發出﹐乃以下表所列的文件、批准或許可作為根據﹕-

 

Application No.

申請書編號:

VEP-194/2005

 

Document in the Register :

登記冊上的文件 :

 

(1)     Sheung Shui to Lok Ma Chau Spur Line – Environmental Impact Assessment Tunnel/Viaduct Option, Final Report, January 2002.

 

-     Volume 1 of 5 EIA Report (Part 1)

-     Volume 2 of 5 EIA Report (Part 2)

-     Volume 3 of 5 Appendices (Part 1)

-     Volume 4 of 5 Appendices (Part 2)

-     Volume 5 of 5 Figures and Drawings

-     Executive Summary

 

(Register No. AEIAR-052/2002) [hereinafter referred to as the “EIA Report”]

 

(1) 上水至落馬洲支線 - 環境影響評估 - 隧道/高架橋方案,最後報告 (二零零二年一月)

 

第一冊 環境影響評估報告 (第一部份)

第二冊 環境影響評估報告 (第二部份)

第三冊 附件(第一部份)

第四冊 附件(第二部份)

第五冊 圖表及繪圖

摘要

 

(登記冊編號 : AEIAR-052/2002) [下稱環評報告”]

 

 

(2)     The Director’s letter of approval of the EIA Report dated 11 March 2002, (ref: (111) in Ax (4) to EP2/G/A/101 IV)

 

(2) 環境保護署署長於2002311日發出批准環評報告的信件(檔案編號: (111) in Ax (4) to EP2/G/A/101 IV)

 

(3)     Application for environmental permit on 11 March 2002 (Application No. AEP-129/2002)

 

(3)  許可證持有人於2002311日提交的許可証申請文件(申請書編號: AEP-129/2002)

 

(4)     The Environmental Permit No. EP-129/2002 issued on 6 April 2002

 

(4) 200246日發出的環境許可証 No. EP-129/2002

 

(5)  Application for Further Environmental Permit on 2 July 2002 (Application No. FEP-050/2002)

 

(5) 200272申請之新的環境許可証 (申請書編號: FEP-050/2002)

 

(6)  The Further Environmental Permit No. FEP-01/129/2002 issued on 26 July 2002

 

(6)     2002726日發出之新的環境許可証 No. FEP-01/129/2002

 

(7)     Application for Variation of Environmental Permit on 16 August 2002 (Application No. VEP-071/2002)

 

(7) 2002816申請之更改環境許可証 (申請書編號: VEP-071/2002)

 

(8)  The Environmental Permit No. EP-01/129/2002/A issued on 23 August 2002

 

(8)      2002823日發出的環境許可証 No. EP-01/129/2002/A

 

(9)  Application for Further Environmental Permit on 15 November 2002 (Application No. FEP-057/2002)

 

(9) 20021115申請之新的環境許可証 (申請書編號: FEP-057/2002)

 

(10) Application for Variation of Environmental Permit on 26 November 2002 (Application No. VEP-080/2002)

 

(10) 20021126申請之更改環境許可証 (申請書編號: VEP-080/2002)

 

(11) Application for Further Environmental Permit on 26 November 2002 (Application No. FEP-058/2002)

 

(11)   20021126日申請之新的環境許可証(申請書編號: FEP-058/2002)

 

(12) The Further Environmental Permit No. FEP-02/129/2002 issued on 7 December 2002

 

(12)   2002127日發出之新的環境許可証 No. FEP-02/129/2002

 

 

(13) The Further Environmental Permit No. FEP-03/129/2002 issued on 11 December 2002

 

(13)   20021211日發出之新的環境許可証 No. FEP-03/129/2002

 

 

(14) The Environmental Permit No. EP-129/2002/A issued on 11 December 2002

 

(14)   20021211日發出之環境許可証 No. EP-129/2002/A

 

(15) Application for Further Environmental Permit on 30 December 2002 (Application No. FEP-059/2002)

 

(15)   20021230日申請之新的環境許可証(申請書編號: FEP-059/2002)

 

(16) The Further Environmental Permit No. FEP-04/129/2002 issued on 24 January 2003

 

(16)   2003124日發出之新的環境許可証 No. FEP-04/129/2002

 

(17) Application for Variation of Environmental Permit on 27 March 2003 (Application No. VEP-090/2003)

 

(17) 2003327申請之更改環境許可証 (申請書編號: VEP-090/2002)

 

(18) The Further Environmental Permit No. EP-02/129/2002/A issued on 28 March 2003

 

(18)   2003328日發出之新的環境許可証 No. EP-02/129/2002/A

 

(19)  Application for Variation of Environmental Permit on 27 June 2003 (Application No. VEP-102/2003)

 

(19) 2003627日申請之更改環境許可証 (申請書編號: VEP-102/2003)

 

(20) The Further Environmental Permit No. EP-03/129/2002/A issued on 24 July 2003

 

(20)   2003724日發出之新的環境許可証 No. EP-03/129/2002/A

 

(21)  Application for Variation of Environmental Permit on 19 December 2003 (Application No. VEP-126/2003)

 

(21) 20031219日申請之更改環境許可証 (申請書編號: VEP-126/2003)

 

(22)  Application for Variation of Environmental Permit on 23 December 2003 (Application No. VEP-128/2003)

 

(22) 20031223日申請之更改環境許可証 (申請書編號: VEP-128/2003)

 

(23) The Environmental Permit No. EP-129/2002/B issued on 15 January 2004

 

(23) 2004115日發出的環境許可証 No. EP-129/2002/B

 

(24)  Application for Variation of Environmental Permit on 20 January 2004 (Application No. VEP-130/2004)

 

(24) 2004120日申請之更改環境許可証 (申請書編號: VEP-130/2004)

 

(25) The Further Environmental Permit No. EP-03/129/2002/B issued on 13 February 2004

 

(25) 2004213日發出之新的環境許可証 No. EP-03/129/2002/B

 

(26)  Application for Variation of Environmental Permit on 2 July 2004 (Application No. VEP-147/2004)

 

(26)200472日申請之更改環境許可証 (申請書編號: VEP-147/2004)

 

(27) The Further Environmental Permit No. EP-03/129/2002/C issued on 22 July 2004

 

(27)  2004722日發出之新的環境許可証 No. EP-03/129/2002/C

 

(28)  Application for Variation of Environmental Permit on 29 July 2004 (Application No. VEP-150/2004)

 

(28) 2004729日申請之更改環境許可証 (申請書編號: VEP-150/2004)

 

(29) The Environmental Permit No. EP-129/2002/C issued on 24 August 2004

 

(29) 2004824日發出的環境許可証 No. EP-129/2002/C

 

(30)  Application for Variation of Environmental Permit on 4 September 2004 (Application No. VEP-155/2004)

 

(30)   200494日申請之更改環境許可証 (申請書編號: VEP-155/2004)

 

(31) The Further Environmental Permit No. EP-03/129/2002/D issued on 30 September 2004

 

(31)  2004930日發出之新的環境許可証 No. EP-03/129/2002/D

 

(32)  Application for Variation of Environmental Permit on 26 August 2005 (Application No. VEP-194/2005)

 

(32) 2005826日申請之更改環境許可証 (申請書編號: VEP-194/2005)

 


 

Application No.

申請書編號

Date of Application

申請日期

List of Amendments Incorporated into this Environmental Permit

已包含在本環境許可證內修訂項目

Date of Amendment

修訂日期

VEP-102/2003

27 June 2003

 

2003627

Vary the scale and scope of designated project(s) in Part B of Further Environmental Permit No. FEP-03/129/2002.

Add conditions 3.26, 3.27 & 3.28 in Part C and Figure 9 of Further Environmental Permit No. EP-03/129/2002/A.

 

更改新的環境許可證編號 FEP-03/129/2002

B部的指定工程項目的規模和範圍。

在新的環境許可証編號FEP-03/129/2002/AC部加入第3.26, 3.273.28項條件9

 

24 July 2003

 

2003724

VEP-130/2004

20 January 2004

 

2004120

Vary condition 3.17 in Part C and Figures 7a, 7b, 7c & 7d of Further Environmental Permit No. EP-03/129/2002/A.

Add Figure 7e to Further Environmental Permit No. EP-03/129/2002/B.

 

更改新的環境許可證編號 EP-03/129/2002/A

的第3.17項條件7a, 7b, 7c7d

在新的環境許可証編號FEP-03/129/2002/B加入圖7e

13 February 2004

 

2004213

VEP-147/2004

2 July 2004

 

200472

Vary Figure 7e of Further Environmental Permit No. EP-03/129/2002/B.

 

更改新的環境許可證編號 EP-03/129/2002/B

的圖7e

22 July 2004

 

2004722

VEP-155/2004

4 September 2004

 

200494

Vary Figure 7e of Further Environmental Permit No. EP-03/129/2002/C.

 

更改新的環境許可證編號 EP-03/129/2002/C

的圖7e

30 September 2004

 

2004930

VEP-194/2005

26 August 2005

 

2005826

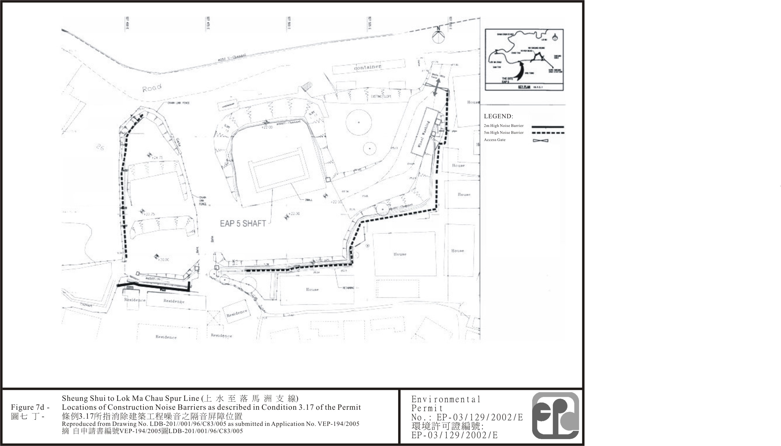
Vary Figure 7d of Further Environmental Permit No. EP-03/129/2002/D.

 

更改新的環境許可證編號 EP-03/129/2002/D

的圖7d

20 September 2005

 

2005920

 

 

 

 

 

 

 

    20 September 2005

 

Date

日期

 

(Maurice YEUNG)

Atg. Principal Environmental Protection Officer

(Assessment and Noise)

for Director of Environmental Protection

環境保護署署長

(署理首席環境保護主任(評估及噪音) 楊國良代行)

 


PART B (DESCRIPTIONS OF DESIGNATED PROJECT)

B (指定工程項目的說明)

 

Hereunder is the description of the designated project mentioned in Part A of this environmental permit :

下列為本環境許可證A所提及的指定工程項目的說明:

 

 

 

Title of Designated Project

指定工程項目的名稱

 

KCRC East Rail Extension:

Sheung Shui to Lok Ma Chau Spur Line, Contract No. LDB 201 – Sheung Shui to Chau Tau Tunnel [This designated project is hereinafter referred to as “the Project”]

九廣鐵路東鐵發展:

上水至落馬洲支線, 合約編號 LDB201 - 上水至洲頭隧道 [本指定工程項目下稱工程項目”]

 

Nature of Designated Project
指定工程項目的性質

 

 

Construction of a section of the Sheung Shui to Lok Ma Chau Spur Line railway.

 

建造上水至落馬洲支線鐵路的其中一段。

 

 

Location of Designated Project

指定工程項目的地點

 

Section of the Sheung Shui to Lok Ma Chau Spur Line from Sheung Shui Station in the East to Chau Tau in the West.

 

The location of the Project is shown on Figures 1 and 2 attached to this Permit.

 

上水至落馬洲支線由東面的上水火車站至西面的洲頭的一段

 

工程項目的地點如本環境許可證內圖一所示。

 

 

Scale and Scope of Designated Project(s)

指定工程項目的規模和範圍

 

(A)   Construction of a section of the alignment between Chainage 30+227 and 35+200, but excluding:

·           KCRC Contract LCC 206 – Construction of the diaphragm walls for the TBM launch shaft (AEP-01/129/2002A); and

·           KCRC Contract LCC 205 – Advance works on the large water mains

 

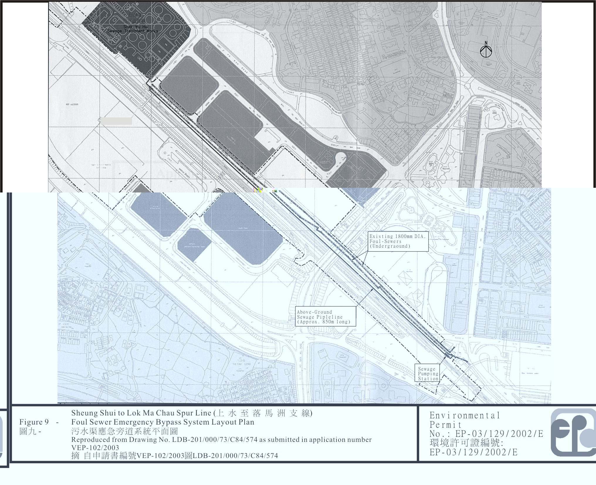
(B)  Construction, operation and subsequent removal of an associated foul sewer emergency bypass system, including a sewage pumping station and above-ground sewage pipelines (approx. 850m long), along a section of San Wan Road between Sheung Shui Station and Shek Wu Hui Sewerage Treatment Works as shown in Figure 9.

 

(A)   建造 CH.30+227 CH.35+200 的路段,但不包括:

·         合約編號 LCC 206 - 建造隧道鑽挖機啟動豎井隔牆 (AEP-01/129/2002A);

·         合約編號 LCC 205 - 預先建造的大型水管工程

 

(B)           建造,營辦及隨後移去如圖九所示在由上水站到石湖墟污水處理廠的一段新運路上有關連的污冰渠應急旁道系統,包括污水泵水站及地面污水管 (850米長)

 

 


PART C (PERMIT CONDITIONS)

 

1.         General Conditions

 

1.1       The Permit Holder and any person working on the Project shall comply with all conditions set out in this Permit. Any non-compliance by any person may constitute a contravention of the Environmental Impact Assessment Ordinance (Cap.499) and may become the subject of appropriate action being taken under the Ordinance.

 

1.2       The Permit Holder shall ensure full compliance with all legislation from time to time in force including without limitation to the Noise Control Ordinance (Cap.400), Air Pollution Control Ordinance (Cap.311), Water Pollution Control Ordinance (Cap.358), Dumping at Sea Ordinance (Cap.466), the Waste Disposal Ordinance (Cap.354). This Permit does not of itself (a) constitute any ground of defense against any proceedings instituted under any legislation or (b) imply any approval under any legislation.

 

1.3       The Permit Holder shall make copies of this Permit together with all documents referred to in this Permit or the documents referred to in Part A of the Permit readily available at all times for inspection by the Director or his authorized officers at all sites/offices covered by this Permit. Any reference to the Permit shall include all documents referred to in the Permit and also the relevant documents in the Register.

 

1.4       The Permit Holder shall give a copy of this Permit to the person(s) in charge of the site(s) and ensure that such person(s) fully understands all conditions and all requirements incorporated by the Permit. The site(s) refers to site(s) of construction and/or operation of the Project(s) and shall mean the same hereafter.

 

1.5       The Permit Holder shall display conspicuously a copy of this Permit on the construction site(s) at all vehicular site entrances/exits or at a convenient location for public information at all times. The Permit Holder shall ensure that the most updated information about the Permit, including any amended permit, is displayed at such locations. If the Permit Holder surrenders a part or the whole of the Permit, the notice he sends to the Director shall also be displayed at the same locations as the original Permit. The suspended, varied or cancelled Permit shall be removed from display at the construction site(s).

 

1.6              The Permit Holder shall construct and operate the Project as described in Part B of this Permit.

 

1.7              The Permit Holder shall ensure that the Project is constructed in accordance with the information and recommendations described in the EIA report (Register No. AEIA-052/2002); other relevant documents in the Register; and the information or mitigation measures described in this Permit, or mitigation measures to be recommended in submissions that shall be deposited with or approved by the Director as a result of permit conditions contained in this Permit, or mitigation measures to be recommended under on-going surveillance and monitoring activities during all stages of the Project. Where recommendations referred to in the documents of the Register are not expressly referred to in this Permit, such recommendations are nevertheless to be implemented unless expressly excluded or impliedly amended in this Permit.

 

1.8              This Permit shall not remove the responsibility of any person to comply with the conditions set out in Part C of the Environmental Permit No. EP-129/2002 or where applicable the equivalent condition in any subsequent environmental permit amended by the Director under the Environmental Impact Assessment Ordinance.

 

1.9              All submissions, as required under this Permit, shall be rectified and resubmitted in accordance with the comments, if any, made by the Director within one month of the receipt of the Director's comments or otherwise as specified by the Director.

 

1.10          All submissions approved by the Director, all submissions deposited without comments by the Director, or all submissions rectified in accordance with comments by the Director under this Permit shall be construed as part of the permit conditions described in Part C of this Permit. Any variation of the submissions shall be approved by the Director in writing or as prescribed in the relevant permit conditions. All submissions or any variation of the submissions shall be certified by the Environmental Team (ET) Leader referred to in Condition 2.1 of this permit and verified by the Independent Environmental Checker (IEC), established under condition 2.2 of the Environmental Permit No. EP-129/2002, or where applicable the equivalent condition in any subsequent environmental permit amended by the Director under the Environmental Impact Assessment Ordinance, before submitting to the Director under the Permit.

 

1.11          The Permit Holder shall release all finalized submissions, as required under this Permit, to the public by depositing copies in the Environmental Impact Assessment Ordinance Register Office, or in any other places, or any internet websites as specified by the Director, or by any other means as specified by the Director for public inspection. For this purpose, the Permit Holder shall provide sufficient copies of the submissions.

 

1.12          The Permit Holder shall notify the Director in writing the commencement date of construction of the Project no later than one month prior to the commencement of construction of the Project. The Permit Holder shall notify the Director in writing immediately if there is any change of the commencement date of the construction.

 

1.13          All submissions to the Director required under this Permit shall be delivered either in person or by registered mail to the Environmental Impact Assessment Ordinance Register Office (currently at 27/F, Southorn Centre, 130 Hennessy Road, Wanchai, Hong Kong).  Electronic copies of all finalized submissions required under this Permit shall be prepared in Hyper Text Markup Language (HTML) (version 4.0 or later) and in Portable Document Format (PDF version 4.0 or later), unless otherwise agreed by the Director and shall be submitted at the same time as the hard copies.

 

1.14          For the purpose of this Permit, “commencement of construction” does not include works related to site clearance and preparation, or other works as agreed by the Director.

 

2.                  Submissions or Measures before Commencement of Construction of the Project

 

            Employment of Environmental Monitoring and Audit (EM&A) Personnel

 

2.1              An Environmental Team (ET) shall be established by the Permit Holder no later than one month before the commencement of construction of the Project. The ET shall be headed by an ET Leader. The ET Leader shall be a person who has at least 7 years’ experience in environmental monitoring and auditing (EM&A) or environmental management. The ET team and the ET Leader shall be responsible for the duties defined in the EM&A Manual submitted and approved under Condition 2.3 of the Environmental Permit No. EP-129/2002, or where applicable the equivalent condition in any subsequent environmental permit amended by the Director under the Environmental Impact Assessment Ordinance. The ET Leader shall be responsible for the implementation of the EM&A programme in accordance with the EM&A requirements as contained in the EM&A Manual.  The ET Leader shall keep a contemporaneous log-book of each and every instance or circumstance or change of circumstances which may affect the environmental impact assessment and each and every non-compliance with the recommendations of the EIA Report (Register No. AEIAR-052/2002) or this Permit. This log-book shall be kept readily available for inspection by all persons assisting in supervision of the implementation of the EIA Report recommendations and this Permit or by the Director or his authorized officers.  Failure to maintain records in the log-book, failure to discharge the duties of the ET Leader as defined in the EM&A Manual or failure to comply with this Condition would entitle the Director to require the Permit Holder by notice in writing to replace the ET Leader.  Failure by the Permit Holder to make replacement, or further failure to keep contemporaneous records in the log-book despite the employment of a new ET Leader may render the Permit liable to suspension, cancellation or variation. The ET shall not be in any way an associated body of the IEC for the Project.

 

2.2              All submissions for approval and deposition under Sections 2, 3, 4 and 5 of this Permit shall be certified by the ET Leader and verified by the IEC as conforming to the information and recommendation contained in the EIA Report before submission to the Director.

 

Installation of Drillholes for Hydrological Monitoring at Long Valley

 

2.3              Prior to the commencement of construction of tunnel section of the Project, a suite of drillholes and piezometers as recommended in the approved EM&A Manual shall be installed for monitoring of groundwater levels at Long Valley. The Permit Holder shall carry out the monitoring of groundwater levels at Long Valley in accordance with the requirements specified in the EM&A Manual approved under Condition 2.3 of the Environmental Permit No. EP-129/2002, or where applicable the equivalent condition in any subsequent environmental permit amended by the Director under the Environmental Impact Assessment Ordinance.

 

 

Submission of Information on Non-toxic Materials used in Tunnel Boring Operation

 

2.4              No later than one month before the commencement of construction of tunnel section of the Project, the Permit Holder shall submit to the Director for approval information on the foaming agent or any chemicals to be used in the tunnel boring operation. The information shall include the chemical composition of the foaming agent or any chemicals to be used.  Before submission to the Director, the information shall be certified by the ET Leader and verified by the IEC as conforming to the information and recommendations contained in the EIA Report.

 

High Degree of Transparency of the Project

 

2.5              To ensure a high degree of transparency regarding the monitoring data and results in view of the public concern about the Project, all environmental monitoring and audit data and results, and all submissions and all performance test data and results required by this Permit shall be made available by the Permit Holder to the public through a dedicated web site to be set up by the Kowloon-Canton Railway Corporation (KCRC) under Condition 6.2 of the Environmental Permit No. EP-129/2002, or where applicable the equivalent condition in any subsequent environmental permit amended by the Director under the Environmental Impact Assessment Ordinance, in the shortest possible time and in no event later than two weeks after such information is available.

 

3.         Submissions or Measures for the Construction of the Project

 

            Management Organization of Main Construction Companies

 

3.1              The Permit Holder shall, within one month after the commencement of construction of relevant part of the Project, inform the Director in writing the management organization of the main construction companies and/or any form of joint ventures associated with the construction of the Project. The submitted information shall include at least an organization chart, names of responsible persons and their contact details.

 

Works Areas of the Project

 

 

3.2              No extension of the works boundary and works areas as indicated in Figure 2 of this Permit, shall be permitted without the written approval of the Director. To avoid environmental impacts to the study area as indicated in Figure 3 of this Permit, all key construction activities of Project shall be within the works boundary and the works areas.

 

            Submission of Drainage Layouts and Management Plan

 

3.3              The Permit Holder shall, within one month after the commencement of construction of relevant part of the Project, submit to the Director for approval 3 sets of the drainage system layout and management plan for the relevant part of the works areas. The submission shall include details of the facilities and measures to manage pollution arising from surface runoff from the works areas and to reduce surface runoff sediments and pollutants entering the watercourses. Before submission to the Director, the drainage layouts and management plan shall be certified by the ET Leader and verified by the IEC as conforming to the information and recommendations contained in the EIA Report. All measures as recommended in the approved drainage plan(s) shall be fully and properly implemented by the Permit Holder and any contractor working on the Project in accordance with the details set out in the submission throughout the construction period.

 

Submission of the Waste Management Plan (WMP)

 

3.4              The Permit Holder shall, within one month after the commencement of construction of relevant part of the Project, submit to the Director for approval 3 sets of Waste Management Plan (WMP) for the relevant part of the works areas. Before submission to the Director, the WMP shall be certified by the ET Leader and verified by the IEC as conforming to the information and recommendations contained in the EIA Report. The WMP shall describe the arrangements for avoidance, reuse, recovery and recycling, storage, collection, treatment including dewatering of spoil and disposal of different categories of waste to be generated from the construction activities and shall indicate the disposal location(s) of all surplus excavated spoil and other waste. A trip ticket system shall be included in the WMP.  Surplus excavated spoil and other waste shall only be disposed of at designated public filling areas unless otherwise approved by the Director. All measures recommended in the approved WMP shall be fully and properly implemented by the Permit Holder and any person working on the Project throughout the construction period.

 

3.5              No disposal of waste, spoil, soil, excavated materials or materials alike arising from the Project shall be allowed at any locations unless otherwise approved by the Director under Condition 3.4 of this Permit. No such materials shall be dumped onto any ecologically sensitive areas identified in the EIA Report, unless such materials are necessary for the ecological enhancement measures required under this Permit.

 

Submission of the Contamination Assessment Plan (CAP)

 

3.6              No later than one month before the commencement of construction at the potentially contaminated land as stated in section 10.7.6 of the EIA Report, the Permit Holder shall submit to the Director for approval 3 copies of the Contamination Assessment Plan (CAP) with exact sampling locations and testing parameters. A site investigation shall be carried out in accordance with the approved CAP. If land contamination is confirmed by the site investigation, the Permit Holder shall submit to the Director for approval 3 copies of a Remediation Assessment Plan (RAP) including a Contamination Assessment Report (CAR).  All remediation actions in the approved RAP shall be fully and properly implemented.  No work on the identified potentially contaminated sites shall be carried out unless and until the CAP and RAP submitted under this condition are approved by the Director

 

            Submission of the Landscape Plan

 

3.7              The Permit Holder shall, within six months after the commencement of construction of the Project, submit to the Director for approval 3 sets of landscape plan(s), of scale 1 to 1000 or other appropriate scale as agreed by the Director. The drawings shall show the detailed landscape proposals based on the approved tree felling application during the construction and operational stages of the Project as stated in sections 12.10 to 12.11.10 of the EIA Report and shall include an implementation programme of landscape works, in particular not less than 4 hectares of compensatory planting within the works boundary. The submission shall be certified by ET Leader and verified by the IEC as conforming to the information and recommendations contained in the EIA Report. Additional copies may be required by the Director. All measures recommended in the approved landscape plan(s) shall be fully and properly implemented in accordance with the details and time schedule set out in the submission.

 

Measures to Mitigate Hydrological Impacts

 

3.8              To minimize the hydrological impacts during the construction of tunnel, the tunnel boring machine shall be operated in Earth Pressure Balance mode throughout the tunnel drive at the Long Valley area as shown in Figure 4 attached to this Permit. The use of the Earth Pressure Balance mode of the tunnel boring machine shall be recorded in the log-book as described in Conditions 2.1 of this Permit and 2.2 of the Environmental Permit No. EP-129/2002, or where applicable the equivalent condition in any subsequent environmental permit amended by the Director under the Environmental Impact Assessment Ordinance.

 

3.9              The tunnel across the Long Valley section as defined in Figure 5 shall be constructed well clear of the main alluvial aquifer in accordance with the vertical profile as indicated in the Figure.

 

3.10          Monitoring of groundwater levels and surface settlement shall be carried out at defined locations and frequencies as specified in the EM&A Manual.

 

3.11          No jet grouting from the ground surface of Long Valley area as shown in Figure 4 attached to this Permit shall be allowed.

 

Long Valley - Hydrological Action Plan

 

3.12          The Permit Holder shall implement the Action Plan as described in Appendix A of this Permit to prevent and to deal with the circumstances when significant changes in groundwater regime or surface settlements are identified by the monitoring programme at Long Valley as specified in the EM&A Manual during construction of the Project.

 

Measures to Mitigate Ecological Impacts

 

3.13          No construction access and activities of the Project shall be allowed on the ground surface of Long Valley area as shown in Figure 4 attached to this Permit except for reinforcing drainage channel bunds, installing and maintaining the piezometers for monitoring of groundwater, taking routine readings of settlement markers and piezometers for groundwater or any other activities as agreed by the Director.

 

3.14          To minimize disturbance to the bat colony located at Chau Tau during the construction of the Project, a continuous fixed hoarding of not less than 2.5 meter high shall be erected around the contractor’s works area as indicated in Figure 6 of this Permit.

 

3.15          Contractor access shall be restricted to the works areas required for working along the whole alignment of the Project and particularly at Lok Ma Chau and San Tin where work is required in fishponds, unless otherwise agreed by the Director.

 

3.16          Temporarily impacted fishponds within the works boundary and works areas as described in the submission under Condition 2.6 of the Environmental Permit No. EP-129/2002, or where applicable the equivalent condition in any subsequent environmental permit amended by the Director under the Environmental Impact Assessment Ordinance, shall be properly reinstated after construction is completed.

 

Measures to Mitigate Construction Noise Impacts

 

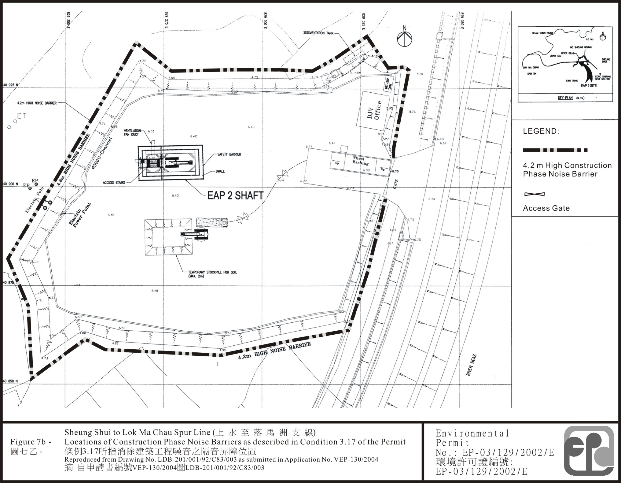
3.17          To mitigate the construction noise impacts, gap-free noise barriers of material at least 10 kg/m2 shall be installed at locations as indicated in Figures 7a to 7e attached to this Permit and shall be maintained throughout the construction period.

 

3.18          No movement of spoil to any areas other than the works areas as indicated in Figure 2 of this Permit shall be carried out during restricted hours [i.e. 1900 to 0700 hours or at any time on a general holiday, as defined in Paragraph 7.2.5 of Volume 1 of 5 of the EIA Report].

 

Measures to Mitigate Rail Noise Impacts

 

3.19          To mitigate the railway noise impacts along the section north of Sheung Shui Station, the following noise barriers shall be installed and maintained :-

 

(a)                a 300 metre long absorptive cantilevered-type noise barrier with a 5.8 metre tall vertical panel above rail head and a 3.6 metre long incline on top at 60 degree; and

 

(b)               a 300 metre long vertical and adsorptive noise barrier with a height of 5 metre above rail head.

 

as indicated in Figure 8 attached to this Permit.  The noise barrier shall be a continuous structure with no gap.

 

 

3.20          To prevent contamination of groundwater, biodegradable and non-toxic foam agents as approved under Condition 2.4 shall be used throughout the tunnel construction of the Project.

 

3.21          Works in River Sutlej and for diversion of Chau Tau Channel shall be carried out in the dry season (from November to March) only.

 

3.22          To mitigate environmental impacts due to site runoff and other potential water pollution caused by construction activities, all mitigation measures as recommended in the approved drainage layouts and management plan under Condition 3.3 of this Permit shall be fully and properly implemented throughout the construction period.

 

Measures to Mitigate Cultural and Heritage Impacts

 

3.23          A testing programme on the archaeological and historical resources shall be carried out prior to construction around the East Emergency Access Point (EAP) south of Ho Sheung Heung and the Kwu Tung Station box sites. The testing programme including the number and location of auger testing and test pit excavation together with the recommended mitigation measures thereof shall be agreed with the Director before implementation.

 

Measures to Mitigate Landscape and Visual Impacts

 

3.24          To mitigate landscape and visual impacts of the Project, mitigation measures described in Appendix B of this Permit shall be fully and properly implemented throughout the construction period.

 

24-hour Dedicated Hotline for Public Complaints and Enquiries

 

3.25          The Permit Holder shall display conspicuously the telephone number of the 24-hour hotline, set up by the KCRC under Condition 3.35 of the Environmental Permit No. EP-129/2002, or where applicable the equivalent condition in any subsequent environmental permit amended by the Director under the Environmental Impact Assessment Ordinance, on the construction site(s) at all vehicular site entrances/exits or at a convenient location for public information at all times.

Measures to Mitigate Odour and Noise Impacts for the Temporary Foul Sewer Emergency Bypass System

 

3.26          All sewage pumps for the foul sewer emergency bypass system shall be housed in a fully enclosed below-ground chamber. To mitigate any discharge of odour or gases from the system, any air vent pipe connected to the chamber shall be fitted with an activated charcoal filter or an equivalent odour removal device.

 

3.27          The 2 sets of generators to be installed to provide power for the pumps of the foul sewer emergency bypass system shall be housed in a full acoustic enclosure for noise attenuation when they are in operation.

 

3.28          The foul sewer emergency bypass system shall be decommissioned after completion of the railway diversion, the below-ground chamber and interconnecting pipes shall be backfilled to remove any pathway for the release of odour or other gases.

 

4                    Environmental Monitoring and Audit of the Project

 

4.1              The EM&A programme shall be implemented as set out in the EM&A Manual approved under Condition 2.3 of the Environmental Permit No. EP-129/2002, or where applicable the equivalent condition in any subsequent environmental permit amended by the Director under the Environmental Impact Assessment Ordinance. Any changes to the EM&A programme shall be justified by the IEC as conforming to the requirements set out in the EM&A Manual and shall be submitted to the Director for approval.

 

4.2              Four hard copies and one electronic copy of monthly EM&A Reports shall be submitted to the Director within 2 weeks after the end of the reporting month. Additional copies of the submission shall be provided to the Director upon request from the Director.

 

4.3              All environmental monitoring and audit results submitted under this Permit shall be true, valid and correct.

 

4.4              The actions described in the Event/Action Plans of the EM&A Manual shall be fully and properly carried out, in accordance with the time frame(s) set out in the Event/Action Plan, or as agreed by the Director.

 

5                    Electronic Reporting of EM&A Information

 

5.1              To facilitate public inspection of the monthly EM&A Reports via the EIA Ordinance Internet Website and at the EIA Ordinance Register Office, electronic copies of these Reports shall be prepared in Hyper Text Markup Language (HTML) (version 4.0 or later) and in Portable Document Format (PDF version 4.0 or later), unless otherwise agreed by the Director and shall be submitted at the same time as the hard copies as described in Condition 4.2 of this Permit. For the HTML version, a content page capable of providing hyperlink to each section and sub-section of the EM&A Reports shall be included in the beginning of the document. Hyperlinks to all figures, drawings and tables in the EM&A Reports shall be provided in the main text from where the respective references are made. All graphics in the report shall be in interlaced GIF format unless otherwise agreed by the Director. The content of the electronic copies of these Reports shall be the same as the hard copies.

5.2       All environmental monitoring data described in Condition 5.1 of this Permit shall be made available to the public via a dedicated web site, set up by the KCRC, in the shortest possible time and in no event later than 2 weeks after the relevant environmental monitoring data are collected or become available, unless otherwise agreed with the Director.           

 

 

Environmental Permit No. EP-03/129/2002/E

環境許可證編號 EP-03/129/2002/E
Notes :

 

1.                  This Environmental Permit consists of three parts, namely, Part A (Main Permit), Part B (Description of Designated Project) Part C (Permit Conditions).  Any person relying on this Permit should obtain independent legal advice on the legal implications under the Ordinance, and that the following notes are for general information only.

 

2.                  If there is a breach of any condition of this Permit, the Director or his authorised officer may, with the consent of the Secretary, order the cessation of associated work until the remedial action is taken in respect of the resultant environmental damage, and in that case the Permit Holder shall not carry out any associated works without the permission of the Director or his authorised officer.

 

3.                  The Permit Holder may apply under Section 13 of the Environmental Impact Assessment Ordinance (the “Ordinance”) to the Director for a variation of the conditions of this Environmental Permit.  The Permit Holder shall replace the original Permit displayed on the construction site, by the amended Permit.

 

4.                  A person who assumes responsibility for the whole or a part of the Project may, before he assumes responsibility of the Project, apply under Section 12 of the Ordinance to the Director for a further Environmental Permit.

 

5.                  Under Section 14 of the Ordinance, the Director may with the consent of the Secretary for Environment, Transport and Works, suspend, vary or cancel this Permit. The Permit that has been suspended, varied or cancelled shall be removed from the display at the construction site.

 

6.                  If this Permit is cancelled or surrendered during the construction or operation of the Project, another environmental permit must be obtained under the Ordinance before the Project could be continued.  It is an offence under Section 26(1) of the Ordinance to construct or operate a designated project listed in Part I of Schedule 2 of the Ordinance without a valid environmental permit.

 

7.                  Any person who constructs or operates the Project contrary to the conditions in the Permit, and is convicted of an offence under the Ordinance, is liable :

 

(i)                  on a first conviction of indictment to a fine of $2 million and imprisonment for 6 months;

 

(ii)                on a second or subsequent conviction on indictment to a fine of $5 million and imprisonment for 2 years;

 

(iii)               on a first summary conviction to a fine at level 6 and imprisonment for 6 months;

 

(iv)              on a second or subsequent summary conviction to a fine of $1 million and imprisonment for 1 year; and

 

(v)                in any case where the offence is of a continuing nature, the court or magistrate may impose a fine of $10,000 for each day on which he is satisfied that the offence continued.

 

8.                  The Permit Holder may appeal against any condition of this Permit under Section 17 of the Ordinance within 30 days of receipt of this Permit.

 

9.                  The Notes are for general reference only and that the Permit Holder should refer to the EIA Ordinance for details and seek independent legal advice.

 

 

 

 


Appendix A

 

Long Valley - Action Plan for Potential Changes in Groundwater Regime or Surface Settlement during Construction

(Extracted from Table 3.3 of the EIA Report)

 

Prescriptive Action

Available Measures

Pre-emptive

Install a suite of piezometers (4 pairs) that straddle the tunnel alignment and monitor groundwater cycles for 24hr periods during peak Spring and Lowest Neap tide cycles at the beginning and end of the Wet and Dry Seasons throughout the year preceeding tunnel construction.

Undertake additional monitoring cycles to cover unusual periods of activity such as the passage of a major storm and flood event or the prolonged operation of the downstream fabridam so as to exclude tidal variation.

Consult the District Council and establish a Long Valley Action Committee amongst the working farmers to keep them informed at all times of works progress and agree an Event Action Plan.

Clean out main channel serviced by Agriculture, Fisheries and Conservation Department (AFCD) fabridam and downstream watercourse.

Pre-empt any problems with the main mid-Long Valley watercourse through inspection, cleaning of accumulated silt and re-inforcement of known weak points and sharp changes of direction.

Set up a planned Contingency Agreement and Action Plan with AFCD and Water Services Department so that the full benefits of the installed fabridams can brought to bear promptly should the need ever arise.

 Work with AFCD to increase the degree of inflation of the River Beas Fabridam so as to be able to divert more flow into Long Valley and carry out a trial run of same checking the influence and performance downstream within Long Valley.

Upon commencement of tunnelling, work with the local farmers to raise and reinforce bund levels by 100mm at all points where the mid-Long Valley watercourse traverses a tunnel alignment.

Response to observed changes in the ground conditions and significant measured changes in the control piezometers

In consultation with the farmers, increase available irrigation flows originating at the AFCD fabridam by resetting sluice levels at the take off point and adjusting the proportions of the downstream bypass overflows back to the Beas.

Pump over from the Beas or Sutlej rivers into the larger seasonal watercourses to make up any continuing water shortfall, should such occur. This could include pumping up to the main AFCD irrigation channel as was done during the period of construction of the drainage improvement project on Beas and Sutlej Channels carried out by the Drainage Services Department (DSD).

Work with the farmers to supply and stockpile materials suitable for local bund raising should the need occur. New sandbags to be stored on site ready for issue. Additional pumps and flexible delivery hose to be provided on stand- by.

Arrange additional pumping to maintain continuous but moderate flows in the normally dry irrigation channels, delivering water throughout the complicated channel network across the tunnel alignment including possible local recharge of disused wells.

Additional Actions available to combat an emergency

To overcome a worst case scenario of a temporary general lowering of the groundwater raise the downstream fabridam operated by Water Services Department (WSD) to impound the Beas, Sutlej and Indus rivers flooding the alluvial aquifer across the Long Valley floor to temporarily create the effect of a standing high tide or surge. This form of impounding is a permanent design function of the WSD fabridam, albeit implemented for a non WSD purpose.

 


Appendix B

 

 

Measures to Mitigate Landscape and Visual Impacts During Construction

 

At all parts of all works areas and construction sites, and throughout the full duration of the construction contract(s), the following mitigation measures shall be implemented to minimise the landscape and visual impact of the construction works:

(i)                      control of night time lighting;

(ii)          erection of decorative screen hoarding;

(iii)         advance planting for screening;

(iv)                  minimising the height of temporary buildings;

(v)                    careful positioning of construction plant;

(vi)                  regular checks shall be carried out to ensure that the work site boundaries are not exceeded and that no damage is being caused to the surrounding areas;

(vii)                 temporary construction sites shall be restored to standards as good as, or better than, the original condition;

(viii)               replanting of disturbed vegetation shall be undertaken and this shall use predominantly native plant species;

(ix)                  topsoil shall be stripped and stored for re-use in the construction of the soft landscape works;

(x)                    the locations of work sites associated with the proposed development shall be carefully selected to minimise the potential landscape and visual impacts of the proposed construction works; and

(xi)                  the potential for soil erosion shall be reduced at construction stage by minimising the extent of vegetation disturbance on site and by providing a protective cover (e.g. plastic sheeting or a grass cover established by hydroseeding) over any exposed ground.

| Figure1|| Figure2| | Figure3| | Figure4| Figure5| | Figure6|| Figure7a|| Figure7b|| Figure7c|| Figure7d|| Figure7e|| Figure8|| Figure9|


[ Back to First Page ] / [ Back to Main Index ]