Environmental Permit No. EP-129/2002/D

環境許可證編號  EP-129/2002/D

ENVIRONMENTAL IMPACT ASSESSMENT ORDINANCE

(CHAPTER 499)

SECTION 10 & 13

環境影響評估條例
(
499 )
10 13

 

ENVIRONMENTAL PERMIT TO CONSTRUCT AND OPERATE A DESIGNATED PROJECT

 

建造及營辦指定工程項目的環境許可證

 

 

PART A (MAIN PERMIT)

A (許可證主要部分)

 

Pursuant to Section 10 of the Environmental Impact Assessment Ordinance (the Ordinance), the Director of Environmental Protection (the Director) grants the Environmental Permit (No. EP-129/2002) to KOWLOON-CANTON RAILWAY CORPORATION (hereinafter referred to as the “Permit Holder”) on 6 April 2002. Pursuant to Section 13 of the Ordinance, the Director amends the Environmental Permit based on the Application No. VEP-197/2005. The amendments described below, are incorporated into this Environmental Permit (EP-129/2002/D). This Environmental Permit as amended is for the construction and operation of the Designated Projects described in Part B of this Permit subject to the conditions described in and attached to Part C of this Permit.

 

根據環境影響評估條例 (條例) 10條的規定,環境保護署署長 (署長) 2002 4 6日將環境許可證 (編號 EP-129/2002) 批予九廣鐵路公司 (下稱 "許可證持有人 ")。根據條例第 13條的規定,署長因應更改環境許可證的申請編號 VEP-197/2005 修訂環境許可證。以下修訂已包含在本環境許可證內  (EP-129/2002/D)。本經修訂的環境許可證作為建造及營辦本許可證 B 所說明的指定工程項目,但須遵守本許可證 C 所說明及附載的條件。

 

Application No.

申請書編號:

VEP-197/2005

Document in the Register :

登記冊上的文件 :

 

(1)     Sheung Shui to Lok Ma Chau Spur Line – Environmental Impact Assessment Tunnel/Viaduct Option, Final Report, January 2002.

 

-     Volume 1 of 5 EIA Report (Part 1)

-     Volume 2 of 5 EIA Report (Part 2)

-     Volume 3 of 5 Appendices (Part 1)

-     Volume 4 of 5 Appendices (Part 2)

-     Volume 5 of 5 Figures and Drawings

-     Executive Summary

(Register No. AEIAR-052/2002) [hereinafter referred to as the “EIA Report”]

 

(1) 上水至落馬洲支線 - 環境影響評估 - 隧道/高架橋方案,最後報告 (二零零二年一月)


 第一冊 環境影響評估報告 (第一部份)

第二冊 環境影響評估報告 (第二部份)

第三冊 附件(第一部份)

第四冊 附件(第二部份)

第五冊 圖表及繪圖

摘要

(登記冊編號 : AEIAR-052/2002) [下稱環評報告”]

 

 

(2)     The Director’s letter of approval of the EIA Report dated 11 March 2002, (ref: (111) in Ax (4) to EP2/G/A/101 IV)

 

(2)  環境保護署署長於2002311發出批准環評報告的信件(檔案編號: (111) in Ax (4) to EP2/G/A/101 IV)

 

(3)     Application for environmental permit on 11 March 2002 (Application No. AEP-129/2002)

 

(3) 許可證持有人於2002311提交的許可証申請文件(申請書編號: AEP-129/2002)

 

(4)     The Environmental Permit No. EP-129/2002 issued on 6 April 2002

 

(4) 200246發出的環境許可証 No. EP-129/2002

 

(5)  Application for Further Environmental Permit on 2 July 2002 (Application No. FEP-050/2002)

 

(5) 200272申請之新的環境許可証 (申請書編號: FEP-050/2002)

 

(6)  The Further Environmental Permit No. FEP-01/129/2002 issued on 26 July 2002

 

(6)      2002726發出之新的環境許可証 No. FEP-01/129/2002

 

(7)      Application for Variation of Environmental Permit on 16 August 2002 (Application No. VEP-071/2002)

 

(7) 2002816申請之更改後的環境許可証 (申請書編號: VEP-071/2002)

 

(8)  The Environmental Permit No. EP-01/129/2002/A issued on 23 August 2002

 

(8)      2002823發出的環境許可証 No. EP-01/129/2002/A

 

(9)  Application for Further Environmental Permit on 15 November 2002 (Application No. FEP-057/2002)

 

(9) 20021115申請之新的環境許可証 (申請書編號: FEP-057/2002)

 

(10) Application for Variation of Environmental Permit on 26 November 2002 (Application No. VEP-080/2002)

 

(10) 20021126申請之更改後的環境許可証 (申請書編號: VEP-080/2002)

 

(11)  Application for Further Environmental Permit on 26 November 2002 (Application No. FEP-058/2002)

 

(11)   20021126申請之新的環境許可証(申請書編號: FEP-058/2002)

 

(12) The Further Environmental Permit No. FEP-02/129/2002 issued on 7 December 2002

 

(12)   2002127發出之新的環境許可証 No. FEP-02/129/2002

 

 

(13) The Further Environmental Permit No. FEP-03/129/2002 issued on 11 December 2002

 

(13)        20021211發出之新的環境許可証 No. FEP-03/129/2002

 

 

(14) The Environmental Permit No. EP-129/2002/A issued on 11 December 2002

 

(14)        20021211發出之環境許可証 No. EP-129/2002/A

 

(15) Application for Further Environmental Permit on 30 December 2002 (Application No. FEP-059/2002)

 

(15)   20021230申請之新的環境許可証(申請書編號: FEP-059/2002)

 

(16) The Further Environmental Permit No. FEP-04/129/2002 issued on 24 January 2003

 

(16)        2003124發出之新的環境許可証 No. FEP-04/129/2002

 

(17) Application for Variation of Environmental Permit on 27 March 2003 (Application No. VEP-090/2003)

 

(17) 2003327申請之更改環境許可証 (申請書編號: VEP-090/2002)

 

(18) The Further Environmental Permit No. EP-02/129/2002/A issued on 28 March 2003

 

(18)  2003328發出之新的環境許可証 No. EP-02/129/2002/A

 

(19)  Application for Variation of Environmental Permit on 27 June 2003 (Application No. VEP-102/2003)

 

(19) 2003627申請之更改環境許可証 (申請書編號: VEP-102/2003)

 

(20) The Further Environmental Permit No. EP-03/129/2002/A issued on 24 July 2003

 

(20)  2003724發出之新的環境許可証 No. EP-03/129/2002/A

 

(21)  Application for Variation of Environmental Permit on 19 December 2003 (Application No. VEP-126/2003)

 

(21)   20031219申請之更改環境許可証 (申請書編號: VEP-126/2003)

 

(22)  Application for Variation of Environmental Permit on 23 December 2003 (Application No. VEP-128/2003)

 

(22)   20031223申請之更改環境許可証 (申請書編號: VEP-128/2003)

 

(23) The Environmental Permit No. EP-129/2002/B issued on 15 January 2004

 

(23)   20041 15日發出之環境許可証 No. EP-129/2002/B

 

(24)  Application for Variation of Environmental Permit on 20 January 2004 (Application No. VEP-130/2004)

 

(24)  2004120日申請之更改環境許可証 (申請書編號: VEP-130/2004)

 

(25) The Further Environmental Permit No. EP-03/129/2002/B issued on 13 February 2004

 

(25)  2004213發出之新的環境許可証 No. EP-03/129/2002/B

 

(26)  Application for Variation of Environmental Permit on 2 July 2004 (Application No. VEP-147/2004)

 

(26)200472申請之更改環境許可証 (申請書編號: VEP-147/2004)

 

(27) The Further Environmental Permit No. EP-03/129/2002/C issued on 22 July 2004

 

(27)  2004722發出之新的環境許可証 No. EP-03/129/2002/C

 

(28)  Application for Variation of Environmental Permit on 29 July 2004 (Application No. VEP-150/2004)

 

(28)  2004729申請之更改環境許可証 (申請書編號: VEP-150/2004)

 

(29) The Environmental Permit No. EP-129/2002/C issued on 24 August 2004

 

(29) 2004824發出的環境許可証 No. EP-129/2002/C

 

(30)  Application for Variation of Environmental Permit on 4 September 2004 (Application No. VEP-155/2004)

 

(30)   200494申請之更改環境許可証 (申請書編號: VEP-155/2004)

 

(31) The Further Environmental Permit No. EP-03/129/2002/D issued on 30 September 2004

 

(31)  2004930發出之新的環境許可証 No. EP-03/129/2002/D

 

(32)  Application for Variation of Environmental Permit on 26 August 2005 (Application No. VEP-194/2005)

 

(32) 2005826申請之更改環境許可証 (申請書編號: VEP-194/2005)

 

 

(33)  Application for Variation of Environmental Permit on 1 September 2005 (Application No. VEP-197/2005)

 

(33) 200591申請之更改環境許可証 (申請書編號: VEP-197/2005)

 

 

 

Application No.

申請書編號

Date of Application

申請日期

List of Amendments Incorporated into this Environmental Permit

已包含在本環境許可證內修訂項目

Date of Amendment

修訂日期

 

VEP-080/2002

26 November 2002

 

20021126

Vary Conditions 2.4, 2.8 and 3.33 in Part C of EP-129/2002

 

更改環境許可證編號 EP-129/2002C部第2.4, 2.8 3.33項條件

 

11 December 2002

 

20021211

 

VEP-126/2003

 

 

 

 

19 December 2003

20031219

 

 

 

Vary Scale and Scope in Part B, Conditions 3.23, 3.25 & 3.29 in Part C and Figures 7, 9(d) and 11 of EP-129/2002/A

 

更改環境許可證編號 EP-129/2002/AB部的規模和範圍, C部第3.23, 3.253.29項條件, 7, 9(d)及圖11

 

Renumber Condition 3.35 in Part C and Figure 1 of Environmental Permit No. EP-129/2002/A to Conditions 3.37 in Part C and Figure 1A of the Environmental Permit No. EP-129/2002/B

 

EP-129/2002/A, C 3.35 條件及圖1 EP-129/2002/B, C 3.37 件及圖一A

Add Conditions 3.35, 3.36 and 4.5 to Part C and Figure 1B, 12, 13 and 14 to Environmental Permit No. EP-129/2002/B

 

EP-129/2002/B C 3.35, 3.36 and 4.5 件及圖一B, 12, 13 14.

15 January 2004

 

2004115

 

VEP-128/2003

23 December 2003

20031223

Vary Condition 3.25 in Part C of EP-129/2002/A

 

更改環境許可證編號 EP-129/2002/AC部第3.25項條件

15 January 2004

 

2004115

 

VEP-150/2004

29 July 2004

2004729

Vary Figure 13 of EP-129/2002/B

 

更改環境許可證編號 EP-129/2002/B的圖13

24 August 2004

 

2004824

 

VEP-197/2005

1 September 2005

200591

Vary Condition 3.25 in Part C and Figures 9b, 9c & 9d of EP-129/2002/C.

 

更改環境許可證編號 EP-129/2002/CC部第3.25項條件及圖九乙, 九丙及九丁.

 

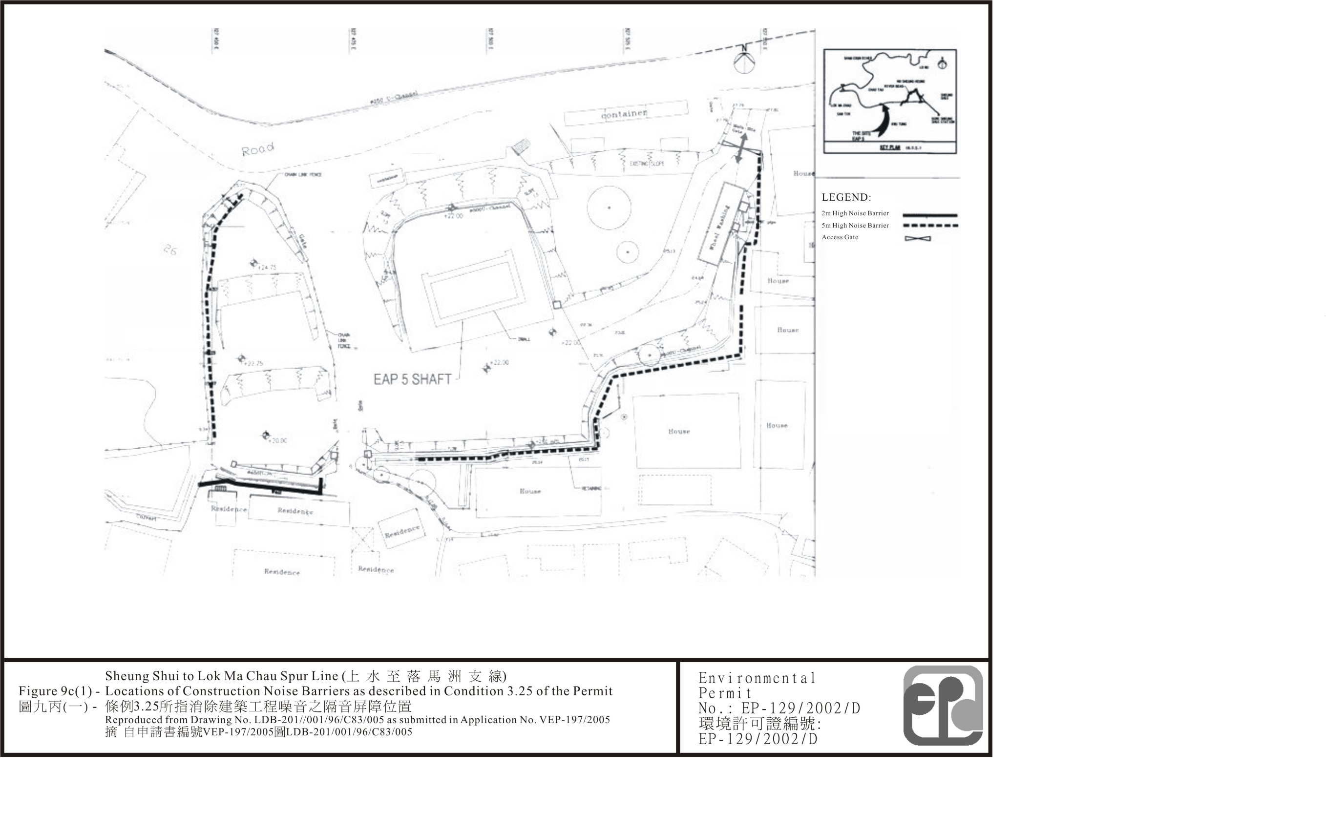
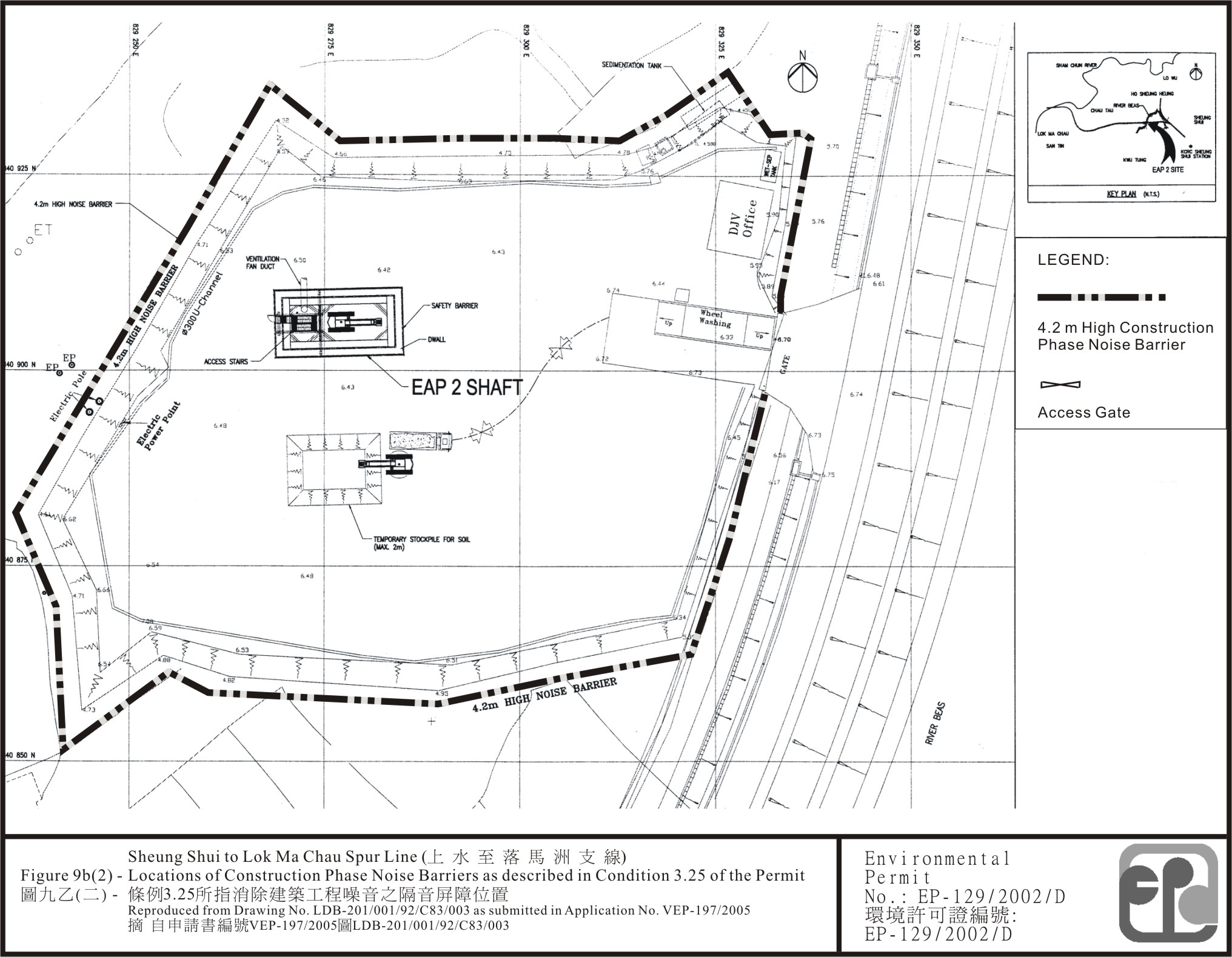
Add Figures 9b(1), 9b(2), 9c(1), 9c(2) & 9d(1) to Environmental Permit No. EP-129/2002/D

 

EP-129/2002/D 入圖九乙(), 九乙(), 九丙(), 九丙(),及九丁().

28 September 2005

 

2005928

 

 

 

 

 

 

 

 

    September 2005

 

 

Date

日期

 

(Maurice K.L. YEUNG)

Atg. Principal Environmental Protection Officer

(Assessment and Noise)

for Director of Environmental Protection

環境保護署署長

(署理首席環境保護主任(評估及噪音) 楊國良代行)


PART B (DESCRIPTIONS OF DESIGNATED PROJECT)

B (指定工程項目的說明)

 

Hereunder is the description of the designated project mentioned in Part A of this environmental permit :

下列為本環境許可證A所提及的指定工程項目的說明:

 

 

 

Title of Designated Project

指定工程項目的名稱

 

Sheung Shui to Lok Ma Chau Spur Line [This designated project is hereinafter referred to as “the Project”]

上水至落馬洲支線 [本指定工程項目下稱工程項目”]

 

Nature of Designated Project
指定工程項目的性質

 

 

Construction and operation of a railway and its associated stations.

 

建造和營運一條鐵路及相關的火車站。

 

 

Location of Designated Project

指定工程項目的地點

 

The project starts from north of the existing Sheung Shui station and travels through Long Valley, Kwu Tung and Chau Tau in an underground tunnel, before it climbs to a viaduct and terminates at Lok Ma Chau.

 

The location of the Project is shown on Figure 1A and 1B attached to this Permit.

 

由上水火車站以北建造一條鐵路,以隧道貫穿塱原、古洞及洲頭,然後用高架橋接駁至落馬洲為止。

 

工程項目的地點如本環境許可證內圖一AB所示。

 

 

Scale and Scope of Designated Project(s)

指定工程項目的規模和範圍

 

Construction and operation of

 

(i)                   a 7.4 km long, double-tracked railway extending from the existing East Rail network at north of Shueng Shui to Lok Ma Chau including a tunnel of 4.3 km long across Long Valley and Kwu Tung ;

 

(ii)                 a railway station at Lok Ma Chau which includes a public transport interchange and station access road;

 

(iii)                a footbridge link to Huanggang; and

 

(iv)               the associated infrastructure and utility works.

 

建造和營運

 

(i)                 長約7.4公里的雙軌鐵路由上水火車站以北的東鐵軌道伸延至落馬洲包括一條長4.3公里隧道橫過塱原和古洞;

 

(ii)                 落馬洲火車站包括公共運輸交匯處及通道;

 

(iii)                行人橋連接皇崗;

 

(iv)               相關的基礎工程和公用設施。

 

 


PART C (PERMIT CONDITIONS)

 

1.         General Conditions

 

1.1       The Permit Holder and any person working on the Project shall comply with all conditions set out in this Permit.  Any non-compliance by any person may constitute a contravention of the Environmental Impact Assessment Ordinance (Cap.499) and may become the subject of appropriate action being taken under the Ordinance.

 

1.2       The Permit Holder shall ensure full compliance with all legislation from time to time in force including without limitation to the Noise Control Ordinance (Cap.400), Air Pollution Control Ordinance (Cap.311), Water Pollution Control Ordinance (Cap.358), Dumping at Sea Ordinance (Cap.466), the Waste Disposal Ordinance (Cap.354).  This Permit does not of itself (a) constitute any ground of defense against any proceedings instituted under any legislation or (b) imply any approval under any legislation.

 

1.3       The Permit Holder shall make copies of this Permit together with all documents referred to in this Permit or the documents referred to in Part A of the Permit readily available at all times for inspection by the Director or his authorized officers at all sites/offices covered by this Permit.  Any reference to the Permit shall include all documents referred to in the Permit and also the relevant documents in the Register.

 

1.4       The Permit Holder shall give a copy of this Permit to the person(s) in charge of the site(s) and ensure that such person(s) fully understands all conditions and all requirements incorporated by the Permit.  The site(s) refers to site(s) of construction and/or operation of the Project(s) and shall mean the same hereafter.

 

1.5       The Permit Holder shall display conspicuously a copy of this Permit on the construction site(s) at all vehicular site entrances/exits or at a convenient location for public information at all times.  The Permit Holder shall ensure that the most updated information about the Permit, including any amended permit, is displayed at such locations.  If the Permit Holder surrenders a part or the whole of the Permit, the notice he sends to the Director shall also be displayed at the same locations as the original Permit.  The suspended, varied or cancelled Permit shall be removed from display at the construction site(s).

 

1.6              The Permit Holder shall construct and operate the Project as described in Part B of this Permit.

 

1.7              The Permit Holder shall ensure that the Project is designed, constructed and operated in accordance with the information and recommendations described in the EIA report (Register No. AEIA-052/2002); other relevant documents in the Register; and the information or mitigation measures described in this Permit, or mitigation measures to be recommended in submissions that shall be deposited with or approved by the Director as a result of permit conditions contained in this Permit, or mitigation measures to be recommended under on-going surveillance and monitoring activities during all stages of the Project.  Where recommendations referred to in the documents of the Register are not expressly referred to in this Permit, such recommendations are nevertheless to be implemented unless expressly excluded or impliedly amended in this Permit. 

 

1.8              All submissions, as required under this Permit, shall be rectified and resubmitted in accordance with the comments, if any, made by the Director within one month of the receipt of the Director's comments or otherwise as specified by the Director.

 

1.9              All submissions approved by the Director, all submissions deposited without comments by the Director, or all submissions rectified in accordance with comments by the Director under this Permit shall be construed as part of the permit conditions described in Part C of this Permit.  Any variation of the submissions shall be approved by the Director in writing or as prescribed in the relevant permit conditions.  All submissions or any variation of the submissions shall be certified by the Environmental Team (ET) Leader and verified by the Independent Environmental Checker (IEC) referred to in Conditions 2.1 and 2.2 below, before submitting to the Director under the Permit.

 

1.10          The Permit Holder shall release all finalized submissions, as required under this Permit, to the public by depositing copies in the Environmental Impact Assessment Ordinance Register Office, or in any other places, or any internet websites as specified by the Director, or by any other means as specified by the Director for public inspection.  For this purpose, the Permit Holder shall provide sufficient copies of the submissions.

 

1.11          The Permit Holder shall notify the Director in writing the commencement date of construction of the Project no later than one month prior to the commencement of construction of the Project.  The Permit Holder shall notify the Director in writing immediately if there is any change of the commencement date of the construction.

 

1.12          All submissions to the Director required under this Permit shall be delivered either in person or by registered mail to the Environmental Impact Assessment Ordinance Register Office (currently at 27/F, Southorn Centre, 130 Hennessy Road, Wanchai, Hong Kong).  Electronic copies of all finalized submissions required under this Permit shall be prepared in Hyper Text Markup Language (HTML) (version 4.0 or later) and in Portable Document Format (PDF version 4.0 or later), unless otherwise agreed by the Director and shall be submitted at the same time as the hard copies.

 

1.13          For the purpose of this Permit, “commencement of construction” does not include works related to site clearance and preparation, or other works as agreed by the Director.

 

2.                  Submissions or Measures before Commencement of Construction of Certain Parts of the Project

 

            Employment of Environmental Monitoring and Audit (EM&A) Personnel

 

2.1              An Environmental Team (ET) shall be established by the Permit Holder no later than one month before the commencement of construction of the Project.  The ET shall be headed by an ET Leader.  The ET Leader shall be a person who has at least 7 years’ experience in environmental monitoring and auditing (EM&A) or environmental management.  The ET team and the ET Leader shall be responsible for the duties defined in the EM&A Manual submitted and approved under Condition 2.3 of this Permit.  The ET Leader shall be responsible for the implementation of the EM&A programme in accordance with the EM&A requirements as contained in the EM&A Manual.  The ET Leader shall keep a contemporaneous log-book of each and every instance or circumstance or change of circumstances which may affect the environmental impact assessment and each and every non-compliance with the recommendations of the EIA Report (Register No. AEIAR-052/2002) or this Permit.  This log-book shall be kept readily available for inspection by all persons assisting in supervision of the implementation of the EIA Report recommendations and this Permit or by the Director or his authorized officers.  Failure to maintain records in the log-book, failure to discharge the duties of the ET Leader as defined in the EM&A Manual or failure to comply with this Condition would entitle the Director to require the Permit Holder by notice in writing to replace the ET Leader.  Failure by the Permit Holder to make replacement, or further failure to keep contemporaneous records in the log-book despite the employment of a new ET Leader may render the Permit liable to suspension, cancellation or variation.  The ET shall not be in any way an associated body of the IEC for the Project.

 

2.2              An Independent Environmental Checker (IEC) shall be employed by the Permit Holder no later than one month before the commencement of construction of the Project. The IEC shall be a person who has at least 7 years’ experience in environmental monitoring and audit (EM&A) or environmental management.  The IEC shall be responsible for duties defined in the EM&A Manual submitted and approved under Condition 2.3 of this Permit, and shall audit the overall EM&A programme described in the EIA Report (Register No. AEIAR-052/2002), including the implementation of all environmental mitigation measures, submissions required in the EM&A Manual, and any other submissions required under this Permit. In addition, the IEC shall be responsible for verifying the environmental acceptability of permanent and temporary works, relevant design plans and submissions under this Permit.  The IEC shall verify the log-book(s) mentioned in Condition 2.1 of this Permit.  The IEC shall notify the Director by fax, within 24 hours of each and every occurrence, change of circumstances or non-compliance with the EIA Report (Register No. AEIAR-052/2002) or this Permit, which might affect the monitoring or control of adverse environmental impact.  Where the IEC fails to so notify the Director of the same, fails to discharge the duties of the IEC as defined the EM&A Manual or fails to comply with this Condition, the Director may require the Permit Holder by notice in writing to replace the IEC.  Failure to replace the IEC as directed or further failure to so notify the Director despite employment of a new IEC may render the Permit liable to suspension, cancellation or variation.  Notification by the Permit Holder is the same as notification by the IEC for the purpose of this Condition.  The IEC shall not be in any way an associated body of the Contractor or the Environmental Team for the Project.

 

Submission of the Environmental Monitoring and Audit Manual and Consultation with ACE

 

2.3              No later than one month before the commencement of construction of the Project, the Permit Holder shall submit to the Director for approval an EM&A Manual for the Project and shall send 15 copies of the EM&A Manual to the Secretary of the Advisory Council on the Environment (ACE) at 10/F, Citibank Tower, 3 Garden Road, Central, Hong Kong.  The Director may require the Permit Holder to make a presentation to the ACE on the EM&A Manual.  Before submission to the Director, the EM&A Manual shall be certified by the ET Leader and verified by the IEC as conforming to the information and recommendations contained in the EIA Report.  The EM&A Manual shall include the latest information of the EM&A programme for hydrological monitoring at Long Valley and the Habitat Creation and Management Plan (HCMP) for enhancement of fishponds at Lok Ma Chau and shall include a requirement to report regularly all recommendations made by the Environmental Committee set up under Condition 2.8 below.  All measures recommended in the approved EM&A Manual shall be fully and properly implemented in accordance with the requirements and time schedule(s) set out in the EM&A Manual.  The EM&A Manual approved under this Condition shall hereinafter be referred to as the “EM&A Manual”.

 

Submission of details of Ecological Mitigation Measures – The Habitat Creation and Management Plan (HCMP)

 

2.4              No later than one month before the commencement of construction of Lok Ma Chau Station of the Project, the Permit Holder shall submit to the Director for approval the HCMP for the “initial enhancement areas” as described in Condition 3.22 below. The Permit Holder shall submit the HCMP for “ecological enhancement areas” as described in Condition 3.23 below no later than two years after the commencement of construction of Lok Ma Chau Station or one and half years before the operation of the Lok Ma Chau station, whichever comes first. The HCMP shall be prepared and finalized in accordance with the draft HCMP contained in Appendix A4.2 of the EIA Report.  The HCMP shall provide the detailed specifications for the habitats and ecological functions to be provided at Lok Ma Chau and to define the long-term management and ecological monitoring and audit requirements on these habitats.  Proper cross-reference shall be made between the HCMP and the EM&A Manual.  The HCMP shall be certified by the ET Leader and verified by the IEC as conforming to the information and recommendations contained in the EIA Report.  All measures recommended in the approved HCMP shall be fully and properly implemented and thereafter maintained.  The Permit Holder shall amend the HCMP as required by the Director.

 

Installation of Drillholes for Hydrological Monitoring at Long Valley

 

2.5              Prior to the commencement of construction of tunnel section of the Project, a suite of drillholes and piezometers as recommended in the approved EM&A Manual shall be installed for monitoring of groundwater levels at Long Valley.  The Permit Holder shall carry out the monitoring of groundwater levels at Long Valley in accordance with the requirements specified in the EM&A Manual approved under Condition 2.3.

 

Submission of Project Layout Plans 

 

2.6              The Permit Holder shall, no later than one month before the commencement of construction of the Project, deposit with the Director 3 sets of layout plan(s) of scale 1:1000 with an explanatory statement detailing the works boundary, the works areas and the railway and tunnel alignment of the Project.  The plan(s) shall be certified by the ET Leader and verified by the IEC as conforming to the information and recommendations contained in the EIA Report.  To avoid environmental impacts to the study area as indicated in Figure 1 of this Permit, any activity which is related to or arises as a result of construction of the Project shall be within the works boundary and the works areas.

 

Submission of Information on Non-toxic Materials used in Tunnel Boring Operation

 

2.7              No later than one month before the commencement of construction of tunnel section of the Project, the Permit Holder shall submit to the Director for approval information on the foaming agent or any chemicals to be used in the tunnel boring operation.  The information shall include the chemical composition of the foaming agent or any chemicals to be used.  Before submission to the Director, the information shall be certified by the ET Leader and verified by the IEC as conforming to the information and recommendations contained in the EIA Report.

 

Set up of an Environmental Committee

 

2.8              The Permit Holder shall set up an Environmental Committee before the commencement of construction of the Project: (a) to advise on and monitor the effectiveness of the proposed mitigation measures of the Project according to the HCMP and the EIA Report; and (b) to ensure that the Permit Holder undertakes the Project in a manner that will result in no net loss in the ecological function of the habitats concerned. The Permit Holder shall, no later than one month before the commencement of construction of the Project, submit to the Director for approval a list of members and terms of reference of the Environmental Committee.

 

2.9              The Permit Holder shall deposit with the Director all minutes of meeting and the associated papers of the Environmental Committee and shall place such information on the dedicated web site to be set up by the Permit Holder under Condition 6.2, within one month of the day of the meeting.  The Director may require the Permit Holder to amend the HCMP as a result of the advice by the Environmental Committee.

 

High Degree of Transparency of the Project

 

2.10          To ensure a high degree of transparency regarding the monitoring data and results in view of the public concern about the Project, all environmental monitoring and audit data and results, the approved EM&A Manual, the approved HCMP and all submissions and all performance test data and results required by this Permit shall be made available by the Permit Holder to the public through a dedicated web site to be set up by the Permit Holder under Condition 6.2 below, in the shortest possible time and in no event later than two weeks after such information is available.

 

3.         Submissions or Measures for the Construction of Certain Parts of the Project

 

            Management Organization of Main Construction Companies

 

3.1              The Permit Holder shall, within one month after the commencement of construction of relevant part of the Project, inform the Director in writing the management organization of the main construction companies and/or any form of joint ventures associated with the construction of the Project.  The submitted information shall include at least an organization chart, names of responsible persons and their contact details.

 

Works Areas of the Project

 

 

3.2              No extension of the works boundary and works areas as indicated in the layout plan(s) deposited under Condition 2.6 shall be permitted without the written approval of the Director.  To avoid environmental impacts to the study area as indicated in Figure 1 of this Permit, any key construction activity of Project shall be within the works boundary and the works areas.

 

Submission on Rail Noise Mitigation Measures

 

3.3              The Permit Holder shall, no later than one month before the commencement of construction of viaduct track superstructure sections of the Project, deposit with the Director 3 sets of design drawings with explanatory statements showing details of mitigation measures to be used on all viaducts track superstructure sections of the Project.  Before submission to the Director, the drawings shall be certified by the ET Leader and verified by the IEC as conforming to the information and recommendations contained in the EIA Report.  The mitigation measures shall include, but are not limited to the following requirements: -

 

(a)            At least 1.2 metres high parapet walls above the safety walkway together with absorptive central plenum forming a noise reduction plenum system on all viaduct sections; and

 

(b)           Floating Slab Track (FST) at a resonant frequency of 16 Hz and low stiffness shear type base plates of at least 13kN/mm shall be in the track form design throughout the tunnel wherever there is existing or potential for future development along the alignment to ensure no impact arising from the ground borne noise and vibration.  Low vibration track (LVT) shall be used on viaducts.

 

All mitigation measures set out in the drawings shall be fully and properly implemented.

 

3.4              Prior to the operation of the Project, the Permit Holder shall submit to the Director for approval 3 sets of the performance test proposal to illustrate that the 12-car disc braked unskirted refurbished train shall meet the specification of maximum level (Lmax) not exceeding 82.3dB(A) at 130kph measured at 1.2 metres above ground and at 25 metres from the nearest track centerline of at-grade ballasted tracks.  The proposal shall include a performance test to demonstrate that the air-conditioning unit of the train has a maximum noise level not higher than 57dB(A) at a distance of 15 metres from the train.  Before submission to the Director, the performance test proposal shall be certified by the ET Leader and verified by the IEC as conforming to the information and recommendations contained in the EIA Report.

 

3.5              Prior to the operation of the Project, the Permit Holder shall carry out the performance test in accordance with the approved performance test proposal and deposit with the Director 3 sets of the performance test report, on the basis of Condition 3.4.  Before submission to the Director, the performance test report shall be certified by the ET Leader and verified by the IEC.  All measures as recommended in the performance test report shall be fully and properly implemented.

 

            Submission of Drainage Layouts and Management Plan

 

3.6              The Permit Holder shall, within one month after the commencement of construction of relevant part of the Project, submit to the Director for approval 3 sets of the drainage system layout and management plan for the relevant part of the works areas.  The submission shall include details of the facilities and measures to manage pollution arising from surface runoff from the works areas and to reduce surface runoff sediments and pollutants entering the watercourses.  Before submission to the Director, the drainage layouts and management plan shall be certified by the ET Leader and verified by the IEC as conforming to the information and recommendations contained in the EIA Report.  All measures as recommended in the approved drainage plan(s) shall be fully and properly implemented by the Permit Holder and any contractor working on the Project in accordance with the details set out in the submission throughout the construction period.

 

Submission of the Waste Management Plan (WMP)

 

3.7              The Permit Holder shall, within one month after the commencement of construction of relevant part of the Project, submit to the Director for approval 3 sets of Waste Management Plan (WMP) for the relevant part of the works areas.  Before submission to the Director, the WMP shall be certified by the ET Leader and verified by the IEC as conforming to the information and recommendations contained in the EIA Report.  The WMP shall describe the arrangements for avoidance, reuse, recovery and recycling, storage, collection, treatment including dewatering of spoil and disposal of different categories of waste to be generated from the construction activities and shall indicate the disposal location(s) of all surplus excavated spoil and other waste.  A trip ticket system shall be included in the WMP.  Surplus excavated spoil and other waste shall only be disposed of at designated public filling areas unless otherwise approved by the Director.  All measures recommended in the approved WMP shall be fully and properly implemented by the Permit Holder and any person working on the Project throughout the construction period.

 

3.8              No disposal of waste, spoil, soil, excavated materials or materials alike arising from the Project shall be allowed at any locations unless otherwise approved by the Director under Condition 3.7.  No such materials shall be dumped onto any ecologically sensitive areas identified in the EIA Report, unless such materials are necessary for the ecological enhancement measures required under this Permit.

 

Submission of the Contamination Assessment Plan (CAP)

 

3.9              No later than one month before the commencement of construction at the potentially contaminated land as stated in section 10.7.6 of the EIA Report, the Permit Holder shall submit to the Director for approval 3 copies of the Contamination Assessment Plan (CAP) with exact sampling locations and testing parameters.  A site investigation shall be carried out in accordance with the approved CAP.  If land contamination is confirmed by the site investigation, the Permit Holder shall submit to the Director for approval 3 copies of a Remediation Assessment Plan (RAP) including a Contamination Assessment Report (CAR).  All remediation actions in the approved RAP shall be fully and properly implemented.  No work on the identified potentially contaminated sites shall be carried out unless and until the CAP and RAP submitted under this condition are approved by the Director

 

            Submission of the Landscape Plan

 

3.10          The Permit Holder shall, within six months after the commencement of construction of the Project, submit to the Director for approval 3 sets of landscape plan(s), of scale 1 to 1000 or other appropriate scale as agreed by the Director.  The drawings shall show the detailed landscape proposals based on the approved tree felling application during the construction and operational stages of the Project as stated in sections 12.10 to 12.11.10 of the EIA Report and shall include an implementation programme of landscape works, in particular not less than 4 hectares of compensatory planting within the works boundary. The submission shall be certified by ET Leader and verified by the IEC as conforming to the information and recommendations contained in the EIA Report.  Additional copies may be required by the Director.  All measures recommended in the approved landscape plan(s) shall be fully and properly implemented in accordance with the details and time schedule set out in the submission.

 

Measures to Mitigate Hydrological Impacts

 

3.11          To minimize the hydrological impacts during the construction of tunnel, the tunnel boring machine shall be operated in Earth Pressure Balance mode throughout the tunnel drive at the Long Valley area as shown in Figure 2 attached to this Permit.  The use of the Earth Pressure Balance mode of the tunnel boring machine shall be recorded in the log-book as described in Conditions 2.1 and 2.2 of this Permit.

 

3.12          The tunnel across the Long Valley section as defined in Figure 3 shall be constructed well clear of the main alluvial aquifer in accordance with the vertical profile as indicated in the Figure.

 

3.13          Monitoring of groundwater levels and surface settlement shall be carried out at defined locations and frequencies as specified in the EM&A Manual.

 

3.14          No jet grouting from the ground surface of Long Valley area as shown in Figure 2 attached to this Permit shall be allowed.

 

3.15          To promote drainage subsurface flow of River Sutlej channel during tunnel construction, the concrete block as shown in Figure 4 attached to this Permit shall be installed with compensatory cross-over drainage.

 

Long Valley - Hydrological Action Plan

 

3.16          The Permit Holder shall implement the Action Plan as described in Appendix A of this Permit to prevent and to deal with the circumstances when significant changes in groundwater regime or surface settlements are identified by the monitoring programme at Long Valley as specified in the EM&A Manual during construction of the Project.

 

Measures to Mitigate Ecological Impacts

 

3.17          No construction access and activities of the Project shall be allowed on the ground surface of Long Valley area as shown in Figure 2 attached to this Permit except for reinforcing drainage channel bunds, installing and maintaining the piezometers for monitoring of groundwater, taking routine readings of settlement markers and piezometers for groundwater or any other activities as agreed by the Director.

 

3.18          To minimize disturbance to the bat colony located at Chau Tau during the construction of the Project, a continuous fixed hoarding of not less than 2.5 metre high shall be erected around the contractor’s works area as indicated in Figure 5 of this Permit.

 

3.19          To reduce aerial collisions from birds, the design of Lok Ma Chau station shall minimize the use of reflective materials (including glass) on outer surfaces of the station.

 

3.20          Contractor access shall be restricted to the works areas required for working along the whole alignment of the Project and particularly at Lok Ma Chau and San Tin where work is required in fishponds, unless otherwise agreed by the Director.

 

3.21          Temporarily impacted fishponds within the works boundary and works areas as described in the submission under Condition 2.6 shall be properly reinstated after construction is completed.

 

Establishment of the Initial Enhancement Areas

 

3.22          Not less than 15 hectares of fishponds in Lok Ma Chau (hereinafter be referred to as “initial enhancement areas”) as indicated in Figure 6 attached to this Permit shall be established as conforming to the criteria set out in the HCMP before the commencement of site formation works for the Lok Ma Chau station.  The implementation of measures for the establishment of the initial enhancement areas shall be certified by the ET Leader and verified by the IEC.  These measures shall include, but not limited to the following: -

 

(a)            reprofiling of pond levels to create shallow feeding habitats;

 

(b)           fish stocking; and

 

(c)            management of water levels.

 

Establishment of the Ecological Compensation Areas

 

3.23          Prior to the operation of the Lok Ma Chau station, the Permit Holder shall enhance and manage an “ecological compensation area” which shall include not less than 29.65 hectares of fishponds, 0.2 hectares of marshland and 0.7 hectares of reedbed as indicated in Figure 7 attached to this Permit.  The ecological compensation areas shall be established as conforming to the criteria set out in the HCMP.  The implementation of measures for the establishment of the ecological compensation areas shall be certified by the ET Leader and verified by the IEC.  These measures shall include, but not limited to the following: -

 

(a)        enlarging small fishponds to reduce enclosure effects;

 

(b)       reprofiling of fishpond bunds to provide shallow sloping margins to increase feeding opportunities and the availability of fish and invertebrate prey to birds;

 

(c)        establishing marginal emergent vegetation; and

 

(d)       manipulating fish stocking, feeding/fertilising regime and drain-down to optimise food availability for birds.

 

Establishment of the Marshland

 

3.24          Prior to the operation of the Lok Ma Chau station, the Permit Holder shall establish not less than 4.9 hectares of marshland at locations indicated in Figure 8 attached to this Permit as conforming to the criteria set out in the HCMP.  The implementation of measures for the establishment of the marshland shall be certified by the ET Leader and verified by the IEC.

 

 

 

Measures to Mitigate Construction Noise Impacts

 

3.25          To mitigate the construction noise impacts, gap-free noise barriers of material at least 10 kg/m2 shall be installed at locations as indicated in Figures 9a, 9b, 9b(1), 9b(2), 9c, 9c(1), 9c(2), 9d, 9d(1) & 9(e) attached to this Permit and shall be maintained throughout the construction period. Throughout the construction period of the Lok Ma Chau Road widening work, the following construction noise mitigation measures shall be implemented at the Lok Ma Road section:

 

            (a)        Acoustic blanket constructed with 50mm thick fiberglass lining (at least 12 kg/m2) with 1mm thick steel backing shall be secured on noisy part of backhoe, lorry with crane, vibratory compactor, asphalt paver and vibratory roller as indicated in Appendix 2 of the Construction Noise Impact Assessment report submitted as part of the Application No. VEP-128/2003.

 

            (b)        The asphalt paver to be used shall be BITELLI BB670 Finisher Paver or of equivalent sound power level of 103dB(A).

 

3.26          No movement of spoil to any areas other than the works areas as indicated in the layout plans deposited under Condition 2.6 shall be carried out during restricted hours.

 

Measures to Mitigate Rail Noise Impacts

 

3.27          To mitigate the railway noise impacts along the section north of Sheung Shui Station, the Permit Holder shall install and maintain :-

 

(a)                a 300 metre long absorptive cantilevered-type noise barrier with a 5.8 metre tall vertical panel above rail head and a 3.6 metre long incline on top at 60 degree; and

 

(b)               a 300 metre long vertical and adsorptive noise barrier with a height of 5 metre above rail head.

 

as indicated in Figure 10 attached to this Permit.  The noise barrier shall be a continuous structure with no gap.

 

3.28          All noise mitigation measures as recommended in the submission deposited under Condition 3.3 shall be fully and properly implemented.

 

Measures to Mitigate Water Quality Impacts

 

3.29          Prior to the operation of the sewage treatment plant at the Lok Ma Chau station, the Permit Holder shall establish not less than 4.65 hectares of reedbed/marsh area at location indicated in Figure 11 attached to this Permit.  The reedbed/marsh area shall include at least 2 hectares of reedbed for wastewater polishing purpose.  The implementation of measures for the establishment of the reedbed/marsh area shall be certified by the ET Leader and verified by the IEC as conforming to the information and recommendations contained in the EIA report.

 

3.30          To prevent contamination of groundwater, biodegradable and non-toxic foam agents as approved under Condition 2.7 shall be used throughout the tunnel construction of the Project.

 

3.31          Works in River Sutlej and for diversion of Chau Tau Channel shall be carried out in the dry season (from November to March) only.

 

3.32          To mitigate environmental impacts due to site runoff and other potential water pollution caused by construction activities, all mitigation measures as recommended in the approved drainage layouts and management plan under Condition 3.6 shall be fully and properly implemented throughout the construction period.

 

Measures to Mitigate Cultural and Heritage Impacts

 

3.33          A testing programme on the archaeological and historical resources shall be carried out prior to construction around the East Emergency Access Point (EAP) south of Ho Sheung Heung and the Kwu Tung Station box sites.  The testing programme including the number and location of auger testing and test pit excavation shall be agreed with the Director before implementation. Any recommended mitigation measures which may be as a result of the findings from the testing programme, shall also be agreed with the Director before implementation.

 

Measures to Mitigate Landscape and Visual Impacts

 

3.34          To mitigate landscape and visual impacts of the Project, mitigation measures described in Appendix B of this Permit shall be fully and properly implemented throughout the construction period.

  Establishment of the Wildlife Corridor

 

3.35          Prior to the operation of the Lok Ma Chau station, the Permit Holder shall construct a wildlife corridor to allow free movement of mammal from the San Tin Eastern Channel area to the eastern side of the station access road. The corridor shall comprise a 300mm wide ledge along the northern embankment of the Ha Wan Nullah and a tunnel passing underneath the station access road as shown in Figure 12. The tunnel shall have a diameter of no less than 800mm and be situated at least 200mm above the storm flow level of the Ha Wan Nullah. Mammal barrier shall be provided along the station access road at locations shown in Figure 12 and conforming to one of the three designs show in Figure 12.

 

 

            Measures to Mitigate Traffic Noise Impact

 

3.36          To mitigate traffic noise at Lok Ma Chau Road after operation of the public transport interchange at the Lok Ma Chau station, 0.8m high parapet wall shall be installed along the Lok Ma Chau Road at locations shown in Figures 13 and 14.

 

24-hour Dedicated Hotline for Public Complaints and Enquiries

 

3.37          The Permit Holder shall set up a 24-hour hotline dedicated to the Project to receive and respond to complaints or enquiries from the public, the media and community groups throughout the construction period of the Project.  The Permit Holder shall display conspicuously the telephone number of the 24-hour hotline on the construction site(s) at all vehicular site entrances/exits or at a convenient location for public information at all times.

 

 

 

4.         Measures During Operation of the Project

 

Monitoring the Effectiveness of Ecological Mitigation Measures

 

4.1              The Permit Holder shall be fully responsible for monitoring and reviewing the effectiveness of the ecological mitigation measures specified in Conditions 3.22, 3.23 and 3.24.  The monitoring and review process shall be an integral part of the HCMP and shall include the following specific requirements: -

 

(a)                annual preparation of a Monitoring Report detailing results of key abiotic and biotic parameters monitored during the previous year.  These shall cover the achievement of targets, any targets not met and limit thresholds exceeded, together with measures taken to resolve exceedences.  This shall include the requirement for adaptive modifications to the HCMP if required;

 

(b)               a Five-yearly review porgramme for the HCMP, which shall include both qualitative and quantitative review of management objectives and targets, together with measures necessary to accomplish any revised objectives, and targets that are set, shall be submitted for the Director’s approval; and

 

(c)                the Monitoring Report specified in Condition 4.1(a) above shall be a public document available to concerned parties, whilst the Five-yearly review specified in Condition 4.1(b) above shall be prepared in consultation with stakeholders including, but not limited to relevant Government Departments and ACE.

 

            Long Term Management of the Ecological Mitigation Measures

 

4.2              In order to ensure that the ecological mitigation measures stated in the HCMP are successfully implemented and maintained, the Permit Holder shall be fully responsible for: -

 

(a)                establishing, managing, maintaining, monitoring and auditing the ecological mitigation measures in accordance with the provisions of the HCMP during the entire period of life of the Project; and

 

(b)               reporting at least once every six months, unless otherwise agreed by the Director, to the Environmental Committee set up under Condition 2.8 of this Permit on the progress of the ecological mitigation measures; and

 

4.3              For the purpose of this Condition, the Permit Holder shall be fully responsible for the performance not only of its own employees but also of all his contractors and sub-contractors in relation to all activities involved in, or connected with, the aims and objectives set out in Condition 4.2 above.

 

Further Ecological Mitigation Measures

 

4.4              The Permit Holder shall, if required by the Director, implement further measures to compensate for any net loss of ecological functions, resulting from the loss of the fishponds at Lok Ma Chau, if the proposed management measures fail to deliver the specified results as stated in the EIA report.

  Further Traffic Noise Mitigation Measures

 

4.5              The Permit Holder shall, if required by the Director, carry out further assessments and implement further noise mitigation measures if the traffic volume using the Lok Ma Chau Road exceeds that assumed in s.2.1.2 and Table B5 of the Environmental Assessment Report attached to the Application VEP-126/2003.

           

5.                  Environmental Monitoring and Audit of the Project

 

5.1       The EM&A programme shall be implemented as set out in the EM&A Manual approved under Condition 2.3.  Any changes to the EM&A programme shall be justified by the IEC as conforming to the requirements set out in the EM&A Manual and shall be submitted to the Director for approval.

 

5.2       Two hard copies of the Baseline Monitoring Report and one electronic copy in the formats as specified in Condition 6.1 below shall be submitted to the Director at least two weeks before the commencement of any construction works of the Project.  Additional copies of the submission shall be provided to the Director upon request from the Director.

 

5.3       Two hard copies and one electronic copy of monthly EM&A Reports shall be submitted to the Director within 2 weeks after the end of the reporting month.  Additional copies of the submission shall be provided to the Director upon request from the Director.

 

5.4      The Permit Holder shall report at least once every six months, unless otherwise agreed by the Director, to the ACE on the progress of the monitoring work and the findings. The monitoring plan as specified in the EM&A Manual shall be based on baseline data that is relevant to the project area and updated in line with best practice.

 

5.5              To ensure a high degree of transparency regarding the monitoring data and results in view of the public concern about the Project, all environmental monitoring and audit data and results, the approved EM&A Manual, the approved HCMP and all submissions and all performance test data and results required by this Permit shall be made available by the Permit Holder to the public through a dedicated web site to be set up by the Permit Holder under Condition 6.2 below, in the shortest possible time and in no event later than 2 weeks after such information is available.

 

5.6              Within three months of the commencement of construction of the Project, the Permit Holder shall install and thereafter maintain a system of web cameras covering all major works areas and ecological enhancement areas in Lok Ma Chau.  The system shall provide real time visual monitoring of the site condition accessible by public through the dedicated web site set up by the Permit Holder under Condition 6.2.  Within one month of the commencement of construction of the Project, the Permit Holder shall propose a plan and a system of web cameras for the Director’s agreement.

 

5.7              All environmental monitoring and audit results submitted under this Permit shall be true, valid and correct.

 

5.8              The actions described in the Event/Action Plans of the EM&A Manual shall be fully and properly carried out, in accordance with the time frame(s) set out in the Event/Action Plan, or as agreed by the Director.

 

6.         Electronic Reporting of EM&A Information

 

6.1              To facilitate public inspection of the Baseline Monitoring Report and monthly EM&A Reports via the EIA Ordinance Internet Website and at the EIA Ordinance Register Office, electronic copies of these Reports shall be prepared in Hyper Text Markup Language (HTML) (version 4.0 or later) and in Portable Document Format (PDF version 4.0 or later), unless otherwise agreed by the Director and shall be submitted at the same time as the hard copies as described in Conditions 5.2 and 5.3 of this Permit.  For the HTML version, a content page capable of providing hyperlink to each section and sub-section of the EM&A Reports shall be included in the beginning of the document.  Hyperlinks to all figures, drawings and tables in the EM&A Reports shall be provided in the main text from where the respective references are made.  All graphics in the report shall be in interlaced GIF format unless otherwise agreed by the Director.  The content of the electronic copies of these Reports shall be the same as the hard copies.

 

6.2              The Permit Holder shall, set up a dedicated web site and notify the Director in writing the internet address where the environmental monitoring and project data is to be placed, within six weeks after the commencement of construction of the Project.  All environmental monitoring data described in Condition 6.1 above shall be made available to the public via a dedicated web site to be set up by the Permit Holder in the shortest possible time and in no event later than 2 weeks after the relevant environmental monitoring data are collected or become available, unless otherwise agreed with the Director.

 

6.3              The internet website as described in Condition 6.2 above shall enable user-friendly public access to the monitoring data and project data including the EIA report and the environmental permit(s) and project profile of the Project.  The internet website shall have   features capable of : -

 

(a)                providing access to all environmental monitoring data collected since the commencement of work;

 

(b)               searching by date;

 

(c)                searching by types of monitoring data (air quality and construction waste); and

 

(d)               hyperlinks to relevant monitoring data after searching;

 

            or otherwise as agreed by the Director.

 

 

 

Environmental Permit No. EP-129/2002/D

環境許可證編號 EP-129/2002/D
Notes :

 

1.                  This Environmental Permit consists of three parts, namely, Part A (Main Permit), Part B (Description of Designated Project) Part C (Permit Conditions).  Any person relying on this Permit should obtain independent legal advice on the legal implications under the Ordinance, and that the following notes are for general information only.

 

2.                  If there is a breach of any condition of this Permit, the Director or his authorised officer may, with the consent of the Secretary, order the cessation of associated work until the remedial action is taken in respect of the resultant environmental damage, and in that case the Permit Holder shall not carry out any associated works without the permission of the Director or his authorised officer.

 

3.                  The Permit Holder may apply under Section 13 of the Environmental Impact Assessment Ordinance (the “Ordinance”) to the Director for a variation of the conditions of this Environmental Permit.  The Permit Holder shall replace the original Permit displayed on the construction site, by the amended Permit.

 

4.                  A person who assumes responsibility for the whole or a part of the Project may, before he assumes responsibility of the Project, apply under Section 12 of the Ordinance to the Director for a further Environmental Permit.

 

5.                  Under Section 14 of the Ordinance, the Director may with the consent of the Secretary for Environment, Transport and Works, suspend, vary or cancel this Permit. The Permit that has been suspended, varied or cancelled shall be removed from the display at the construction site.

 

6.                  If this Permit is cancelled or surrendered during the construction or operation of the Project, another environmental permit must be obtained under the Ordinance before the Project could be continued.  It is an offence under Section 26(1) of the Ordinance to construct or operate a designated project listed in Part I of Schedule 2 of the Ordinance without a valid environmental permit.

 

7.                  Any person who constructs or operates the Project contrary to the conditions in the Permit, and is convicted of an offence under the Ordinance, is liable :

 

(i)                  on a first conviction of indictment to a fine of $2 million and imprisonment for 6 months;

 

(ii)                on a second or subsequent conviction on indictment to a fine of $5 million and imprisonment for 2 years;

 

(iii)               on a first summary conviction to a fine at level 6 and imprisonment for 6 months;

 

(iv)              on a second or subsequent summary conviction to a fine of $1 million and imprisonment for 1 year; and

 

(v)                in any case where the offence is of a continuing nature, the court or magistrate may impose a fine of $10,000 for each day on which he is satisfied that the offence continued.

 

8.                  The Permit Holder may appeal against any condition of this Permit under Section 17 of the Ordinance within 30 days of receipt of this Permit.

 

9.                  The Notes are for general reference only and that the Permit Holder should refer to the EIA Ordinance for details and seek independent legal advice.

 

 

 

 


Appendix A

 

Long Valley - Action Plan for Potential Changes in Groundwater Regime or Surface Settlement during Construction

(Extracted from Table 3.3 of the EIA Report)

 

Prescriptive Action

Available Measures

Pre-emptive

Install a suite of piezometers (4 pairs) that straddle the tunnel alignment and monitor groundwater cycles for 24hr periods during peak Spring and Lowest Neap tide cycles at the beginning and end of the Wet and Dry Seasons throughout the year preceeding tunnel construction.

Undertake additional monitoring cycles to cover unusual periods of activity such as the passage of a major storm and flood event or the prolonged operation of the downstream fabridam so as to exclude tidal variation.

Consult the District Council and establish a Long Valley Action Committee amongst the working farmers to keep them informed at all times of works progress and agree an Event Action Plan.

Clean out main channel serviced by Agriculture, Fisheries and Conservation Department (AFCD) fabridam and downstream watercourse.

Pre-empt any problems with the main mid-Long Valley watercourse through inspection, cleaning of accumulated silt and re-inforcement of known weak points and sharp changes of direction.

Set up a planned Contingency Agreement and Action Plan with AFCD and Water Services Department so that the full benefits of the installed fabridams can brought to bear promptly should the need ever arise.

 Work with AFCD to increase the degree of inflation of the River Beas Fabridam so as to be able to divert more flow into Long Valley and carry out a trial run of same checking the influence and performance downstream within Long Valley.

Upon commencement of tunnelling, work with the local farmers to raise and reinforce bund levels by 100mm at all points where the mid-Long Valley watercourse traverses a tunnel alignment.

Response to observed changes in the ground conditions and significant measured changes in the control piezometers

In consultation with the farmers, increase available irrigation flows originating at the AFCD fabridam by resetting sluice levels at the take off point and adjusting the proportions of the downstream bypass overflows back to the Beas.

Pump over from the Beas or Sutlej rivers into the larger seasonal watercourses to make up any continuing water shortfall, should such occur. This could include pumping up to the main AFCD irrigation channel as was done during the period of construction of the drainage improvement project on Beas and Sutlej Channels carried out by the Drainage Services Department (DSD).

Work with the farmers to supply and stockpile materials suitable for local bund raising should the need occur. New sandbags to be stored on site ready for issue. Additional pumps and flexible delivery hose to be provided on stand- by.

Arrange additional pumping to maintain continuous but moderate flows in the normally dry irrigation channels, delivering water throughout the complicated channel network across the tunnel alignment including possible local recharge of disused wells.

Additional Actions available to combat an emergency

To overcome a worst case scenario of a temporary general lowering of the groundwater raise the downstream fabridam operated by Water Services Department (WSD) to impound the Beas, Sutlej and Indus rivers flooding the alluvial aquifer across the Long Valley floor to temporarily create the effect of a standing high tide or surge. This form of impounding is a permanent design function of the WSD fabridam, albeit implemented for a non WSD purpose.

 


Appendix B

 

 

Measures to Mitigate Landscape and Visual Impacts During Construction

 

At all parts of all works areas and construction sites, and throughout the full duration of the construction contract(s), the following mitigation measures shall be implemented to minimise the landscape and visual impact of the construction works:

(i)                      control of night time lighting;

(ii)          erection of decorative screen hoarding;

(vi)                  advance planting for screening;

(vii)                 minimising the height of temporary buildings;

(viii)               careful positioning of construction plant;

(ix)                  regular checks shall be carried out to ensure that the work site boundaries are not exceeded and that no damage is being caused to the surrounding areas;

(x)                    temporary construction sites shall be restored to standards as good as, or better than, the original condition;

(xi)                  replanting of disturbed vegetation shall be undertaken and this shall use predominantly native plant species;

(xii)                 topsoil shall be stripped and stored for re-use in the construction of the soft landscape works;

(xiii)               the locations of work sites associated with the proposed development shall be carefully selected to minimise the potential landscape and visual impacts of the proposed construction works; and

(xiv)               the potential for soil erosion shall be reduced at construction stage by minimising the extent of vegetation disturbance on site and by providing a protective cover (e.g. plastic sheeting or a grass cover established by hydroseeding) over any exposed ground.

 

| Figure1a|| Figure1b|| Figure2| Figure3|| Figure4|| Figure5|| Figure6|| Figure7|| Figure8|| Figure9a|| Figure9b|| Figure9b1|| Figure9b2|| Figure9c|| Figure9c1| | Figure9c2| | Figure9d| | Figure9d1| | Figure9e| | Figure10| | Figure11| | Figure12| | Figure13| | Figure14|


[ Back to First Page ] / [ Back to Main Index ]