Construction of Tsing Tsuen Tunnel for KCRC West Rail

The project involved the construction of two 1.7 km-long tunnels using Tunnel Boring Machine (TBM) for the West Rail from Tsuen Wan to Lai King, and the demolition of two industrial buildings within the construction site.


Environmental Concern

The tunnel construction work was commenced from a site, which was only about 20 m away from a large residential development, the Waterside Plaza. The major concern was the dust generation from building demolition works and the transportation of substantial amount of excavated soils during the tunnel construction.

The project employed many construction equipment including some huge ones such as a 100 m long Tunnel Boring Machine for round-the-clock operation. Noise from the construction work, in particular during night-time, was also a major concern.

Moreover, as the early stage of the construction works involved diaphragm walls construction and bulk excavation, large amount of muddy ground water and wastewater would be generated. Discharge of this polluted water if not treated would cause blockage of the downstream drainage system.

     
   
 
   
   
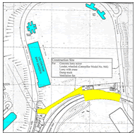
Site Area Layout Plan An Overview of the Site Area

Measures Adopted

Hoarding - Hoarding was provided at the site boundary adjacent to the residential development to reduce the dust emitted from the site.

Dust Cover - Soils excavated during the tunnel boring were transferred in enclosed conveyor system. The building under demolition was enclosed by impervious sheeting.

Treatment - The haul road within the works area was paved with concrete to minimise muddy water and dust generation. Wheels and bodies of vehicles leaving the construction site were thoroughly washed. The public road outside the site was maintained at a clean state. To handle the large amount of construction wastewater caused by the tunnel excavation, a huge wastewater treatment facility of adequate capacity was also erected before the commencement of major tunnel boring works.

Watering - Water was continuously sprayed to the work area where demolition took place to reduce the dust emission.

Enclosure - Noise panels were built to cover a shaft of about 27 m x 140 m to screen noise from the equipment (including the Tunnel Boring Machine) inside the shaft. Noise enclosures / barriers were erected to cover the noisy equipment outside the shaft. Silencers were installed for the ventilating fans.

Administration - Proper scheduling of work and proper positioning of equipment were implemented to further reduce the noise impact.

     
Waste Water Treatment Plant Treated Effluent from Treatment Facility
     
Building to be demolished was covered by impervious sheeting. Excavated soils transferred through enclosed conveyors.

Observations & Achievements

Although the site was in close proximity to a residential development, dust emission caused by the construction activities had been greatly reduced since the implementation of the dust abatement measures.

The noise cover effectively reduced the operational noise from the shaft by about 20 dB(A), which enabled the permission of round-the-clock construction works. Furthermore, the adopted noise control measures also reduced the daytime noise, and more than 600 domestic premises were benefited. There was no complaint received against noise from the tunnelling work. With the effective water pollution mitigation measure in place, not only the wastewater generation was minimized, but also the effluent quality improved.