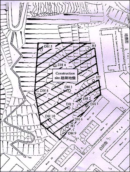
Ground Investigation Work at Shek Kip Mei

The project involved the accelerated, detailed ground investigation work at Shek Kip Mei to identify the ground stabilization works required for subsequent follow-up to prevent landslide reoccurrence.

Environmental Concern

The ground investigation works involved the use of rotary type drill rigs, water pumps, air compressor and generator. It was originally proposed that the work be carried out round the clock. Noise impact arising from the night-time operation on the nearby residents who were only 65 m from the works area was the main concern. Without any noise mitigating measure, the noise generated from the aforesaid equipment would be about 78 dB(A), exceeding the 50 dB(A) night-time Acceptable Noise Limit by 28 dB(A). This noise from the works would cause serious nuisance to its neighbourhood.

 
Block 38   Block 37
 
   
Block37
  Water pump Rotary type drill rig

Measures Adopted

Enclosure and Screening - Acoustic enclosures were provided to the power generating part of the drill rigs. The compressor, generator, and water pumps were relocated so that they were screened off to minimise the noise impact caused to the nearby residents.

Administration - Overnight work was avoided and the use of powered mechanical equipment was restricted to the minimum through proper work scheduling. Works at drill holes which were too close to the residents were restricted during the noise sensitive hours (1900 to 2300 hours). Arrangement was also made to alert the nearby residents in advance and a special complaint hotline was established to provide prompt response to complaints.

Monitoring - Additional noise monitoring were conducted to gauge the impact.

Observations & Achievements

There was a total noise reduction of about 10 dB(A) through implementing the various mitigating and administrative measures. Overnight work between 11p.m. to 7a.m. was avoided and noise impact arising from works during the other restricted hours was also minimized. The ground investigation requiring night time work was completed according to schedule with no complaint received. Residents in Shek Kip Mei Estate were protected from the excessive construction noise as a result.