九廣鐵路西鐵青荃隧道建造工程

此項工程包括利用鑽機開建兩條長1.7公里,連接荃灣及荔景的隧道,以及在工地內拆卸兩幢工業大廈。


環境關注

開挖隧道的工地離開鄰近的私人屋苑(海灣花園)約20公尺,最令人關注的問題就是開建隧道期間,工地常有運載大量挖土的貨車進出,以及拆卸工程所產生的塵埃。

施工用的設備種類頗多,其中不乏巨型機器,例如24小時運作的100米長鑽隧道機。建築工程所造成的噪音,特別是在夜間,引起很大的關注。同時,在施工初期,工序包括建造隔牆及大規模挖掘,造成大量的地下泥水及廢水。假如污水未經處理便排出,便會堵塞水渠下游系統。

     
   
 
   
   
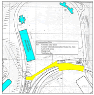
建築工地規劃圖 建築工地全景

紓緩措施

圍板 ── 在毗連住宅的工地邊界架設圍板以減低塵埃飛揚。

防塵 ── 以密封輸送帶系統運送鑽挖隧道產生的泥土。以不透孔物料圍封進行拆卸的樓宇。

處理 ── 在工地內的運輸通道鋪設混凝土,以盡量防止產生泥水及塵埃。在車輛駛離工地前以水徹底沖洗車身及車輪,故此工地外的公共道路得以保持清潔。在主要的隧道鑽挖工程開始之前,配置具足夠效能的巨型廢水處理裝置,以應付大量工地廢水。

灑水 ── 在拆卸工程範圍不斷灑水,以減少產生塵埃。

隔音罩 ── 架設隔音罩覆蓋27x140米的壕坑,以遮擋在壕坑內運作的機器(包括鑽挖隧道機)噪音。在壕坑外運作的設備亦配備隔音罩或隔音屏障,同時在抽風機安裝滅聲裝置。

管理 ── 實施妥善編排的工程時間表,同時小心安排施工設備的位置以進一步減低噪音的影響。

     
廢水處理系統 經處理後廢水由處理系統流出
     
隔音屏障 建築工地

評析及成效

雖然工地靠近民居,但上述的塵埃消減措施大大減少了建造工程產生的塵埃。

而在壕坑上的隔音罩可減低在壕坑內的機器噪音約20分貝。正因如此,承建商可獲准24小時施工。同時,那些實施了的消減噪音措施也紓減了日間建築噪音水平,使600多戶居民受惠,隧道工程並無引起噪音投訴。

另外那些有效的減低污水措施不但減少了廢水的產生,也能改善污水的水質。